Đất BánHồ Chí MinhQuận 9
Đất bán tại Quận 9, Hồ Chí Minh diện tích lớn hơn 500 m²
Đường 5, P.Long Phước, Quận 9, HCM
+ Tổng diện tích 2.805,3m² có 200m² thổ cư, ngang 45m, lô đất đẹp vuông vức.
+ Pháp lý sổ ...
P.Long Phước, Quận 9, HCM
+ Pháp lý đầy đủ, không lo ngại về giấy tờ.
+ Mặt tiền rộng 20m, cực kỳ lý tưởng cho việc kinh doanh.
+ Đường vào rộng 5m, xe cộ ra vào thoải mái, thuận tiện cho việc xây dựng.
+ Hướng Đông Bắc, phong thủy tốt cho mọi hoạt động.
Liên hệ ngay để biết thêm chi tiết qua số điện thoại với ...
Đường Gò Cát, P.Phú Hữu, Quận 9, HCM
ĐẶC ĐIỂM SÁNG GIÁ & LỢI NHUẬN ĐỘT PHÁ:
GIÁ CHỐT SỐC: 29 TỶ TL. Đơn giá chỉ ~45 Triệu/m² (Cực rẻ cho đất phân lô vị trí chiến lược).
VỊ TRÍ VIP: Nằm ngay trung tâm Phú Hữu, đối diện Khu dân cư cao cấp Melosa Khang Điền và sau lưng Chung cư Ricca. Tiềm năng tăng trưởng cực cao.
QUY MÔ ĐẤT VÀNG: DT công nhận ...
Đường Số 5, P.Long Phước, Quận 9, HCM
Mặt tiền sông dài trăm mét.
Dự án Homestay gần bên.
Tiềm năng thành hệ sinh thái du lịch nghỉ dưỡng phía đông TP HCM.
Bên cạnh dự án Vinhomes Grand Park thu hút giới trẻ + trung lưu + thượng lưu giải trí cuối tuần.
Mặt bằng giá thấp nhất hiện tại 22tr/m².
Bán thấp thanh khoản nhanh ...
Đường Lê Văn Việt, P.Hiệp Phú, Quận 9, HCM
- Diện tích: 35x65m CN: 1650m².
- Vị trí: Đoạn đẹp nhất tuyến đường ngay Vincom, kinh doanh sầm uất, khuôn đất lớn khan hiếm.
- Pháp lý cá nhân công chứng ngay.
- Giá 96 tỷ thương lượng, ưu tiên giá tốt chốt nhanh.
Liên hệ Ms. Trang để biết thêm chi tiết.
Đường Số 14, P.Phước Long A, Quận 9, HCM
- Mặt tiền rộng, thông thoáng, kết nối Xa Lộ Hà Nội – Đỗ Xuân Hợp – Liên Phường.
- Khu vực nhiều dự án lớn, tiềm năng tăng giá mạnh, quỹ đất mặt tiền cực hiếm.
⸻
THÔNG TIN CHI TIẾT:
• Diện tích: 19m x 53m, nở hậu 25m
• Hiện trạng nhà cấp 4, đang kinh doanh.
• Công nhận: 1.000m² thổ cư 100%
• Lợi thế: Nở hậu, vuông vức, dễ quy hoạch xây ...
Đường Hoàng Hữu Nam, P.Long Phước, Quận 9, HCM
30x60m có sẵn biệt thự 600m². Thổ cư 1556m².
Thích hợp mua xây tòa nhà văn phòng, chung cư cho thuê dòng tiền tốt.
Giá giảm sâu từ 230 tỷ về còn 220 tỷ.
LH: Mr Thắng.
Đường Số 14, P.Phước Long A, Quận 9, HCM
- Mặt tiền rộng, thông thoáng, kết nối Xa Lộ Hà Nội - Đỗ Xuân Hợp - Liên Phường.
- Khu vực nhiều dự án lớn, tiềm năng tăng giá mạnh, quỹ đất mặt tiền cực hiếm.
-------------
THÔNG TIN CHI TIẾT:
- Diện tích: 19m x 53m, nở hậu 25m
- Hiện trạng nhà cấp 4, đang kinh doanh.
- Công nhận: 1.000m² thổ cư 100%
- Lợi thế: Nở hậu, vuông vức, dễ ...
Đường Xa Lộ Hà Nội, P.Hiệp Phú, Quận 9, HCM
- Vị trí: 2 mặt tiền Xa Lộ Hà Nội, trực diện Ga Metro, sản phẩm khan hiếm.
- Diện tích: 2000m².
- Sổ hồng sang tên ngay.
- Thích hợp làm văn phòng công ty, quảng bá hình ảnh, thương hiệu, rất tiềm năng khi Metro hoạt động.
- Gía bán 200tr/m2=400 tỷ còn TL.
- Liên hệ chính chủ Mr. Thành miễn trung gian.
Bách Khoa, P.Phú Hữu, Quận 9, HCM
* Hôm nay em xin giới thiệu lô đất biệt thự vườn vị trí cực đẹp tại đây
* Lô A2
* Diện tích ngang 27m chiều dài 26.4m Tổng diện tích 714m². Trong đó có 200m² đất thổ cư, còn lại quy hoạch biệt thự vườn
* Không gian thoáng mát, đường nhựa đường 12m, thích hợp xây dựng 1 căn ...
Đường 102, P.Tăng Nhơn Phú A, Quận 9, HCM
- Vị trí hẻm xe hơi, ko ngập, cao ráo, sạch đẹp.
- Giá bán 7.6 tỉ TL chính chủ.
- Diện tích: 560m² (16 x 35) - Hướng: Tây Bắc.
- Hiện trạng: 1 căn nhà vườn + cây cối.
- Pháp lý: Sổ hồng riêng.
- Hỗ trợ ngân hàng.
- Khách xem đất liên hệ trước 30p.
Lh: em Đông lvcc.
Đường Gò Cát, P.Phú Hữu, Quận 9, HCM
ĐẶC ĐIỂM SÁNG GIÁ & LỢI NHUẬN ĐỘT PHÁ:
GIÁ CHỐT SỐC: 29 TỶ TL. Đơn giá chỉ ~45 Triệu/m² (Cực rẻ cho đất phân lô vị trí chiến lược).
VỊ TRÍ VIP: Nằm ngay trung tâm Phú Hữu, đối diện Khu dân cư cao cấp Melosa Khang Điền và sau lưng Chung cư Ricca. Tiềm năng tăng trưởng cực cao.
QUY MÔ ĐẤT VÀNG: DT công ...
Bách Khoa, P.Phú Hữu, Quận 9, HCM
DT ngang 27m x26,5 tổng 714,5m² có 200m² thổ cư
Sổ cá nhân
Gía 50tr/m² thương lượng anh chị thiện chí LH Linh
Đường Số 6, P.Long Bình, Quận 9, HCM
DT: 880m² ngang 20x47m, full thổ cư
Xây được 7 tầng, có thể phân lô.
Giá giảm còn 32 tỷ TL
Liên hệ: Duy - làm việc chính chủ.
Đường 9, P.Long Phước, Quận 9, HCM
Hạ tầng vành đai 3 tác động trung dài hạn.
Giá bán 14,2 triệu/m2
Phù hợp nhà đầu tư giữ trung hạn, không dùng đòn bẩy.
SDT:
Đường Hoàng Hữu Nam, P.Long Thạnh Mỹ, Quận 9, HCM
Hoàng Hữu Nam Đường số 4, P. Long Thạnh Mỹ, TP. Thủ Đức (Q. 9 cũ).
Diện tích: 27 x 40m 1.075m², trong đó thổ cư 1.000m².
Vị trí: Góc 2 mặt tiền đường, khu trung tâm phát triển sôi động nhất TP. Thủ Đức.
Chỉ tiêu xây dựng: 3 hầm 15 tầng.
Pháp lý: Sổ hồng riêng, sang tên ngay.
Giá bán: 125 tỷ (125tr/m² thổ cư).
Lợi thế vàng:
- Cách Ga ...
Đường Nguyễn Xiển, P.Trường Thạnh, Quận 9, HCM
VỊ trí ngay góc ngã ba Nguyễn Xiển - Lò Lu, P. Trường Thạnh, TP. Thủ Đức (Quận 9 cũ).
Diện tích: 30m x 82m Tổng: 2300m².
Hiện trạng: Đất có nhà cấp 4, đang sử dụng làm sân Pickleball mô hình thể thao mới, hút khách. Thích hợp đầu tư nhiều mục tiêu, XD trường học, bệnh viện, siêu thị, tòa chung cư, căn hộ...
Vị trí đắc ...
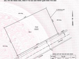
Đường Hoàng Hữu Nam, P.Long Thạnh Mỹ, Quận 9, HCM
- Diện tích sổ: 645m² (Đất ở đô thị - ODT).
- Tổng diện tích sử dụng thực tế: Lên đến 750m².
- Kích thước: Ngang 10m (Bề ngang tiêu chuẩn cho tòa nhà VP, CHDV, kho xưởng...). Chiều dài sâu, cực kỳ lợi thế để bố trí dây chuyền sản xuất hoặc dãy CHDV cao cấp.
- Chỉ tiêu xây dựng: 1 Hầm + 6 Tầng nổi.
- Hạ tầng: Mặt tiền Đường rộng 12m, xe Xe tải lớn ra vào quay đầu thoải ...
KDC Kiến Á, P.Phước Long B, Quận 9, HCM
- Diện tích: 666m² (20,8x32m).
- Hướng: Tây Nam.
- Đường trước nhà: 12m.
- Pháp lý: Sổ cá nhân.
- Giá bán: 75tr/m² - 49.9 tỷ.
Ngoài ra còn một vài nền giá tốt:
- Diện tích: 4,5x20m, đường 12m, hướng TB, giá 9.5 tỷ.
- Diện tích: 5x25m, hướng ĐN, đường 16m, Giá 12 tỷ.
- Diện tích: 5x30,5m, hướng TB, đường 14m, giá 86tr/m².
- Diện ...
P.Tăng Nhơn Phú A, Quận 9, HCM
1.425,7m² có 1345.3m² đất ở đô thị sổ hồng riêng.
Mặt tiền đường Làng Tăng Phú, TP Thủ Đức xe ô tô vào tận nơi.
Bungalow 53 Osaka đang kinh doanh cực tốt khuôn viên xanh mát, bãi xe rộng, hạ tầng hoàn thiện.
Tiềm năng: Tiếp tục khai thác dịch vụ lưu trú, xây biệt thự nghỉ dưỡng, làm kho xưởng hoặc phân lô.
Giá bán: 75 tỷ thương lượng trực ...
Xem quy hoạch tại Quận 9, Hồ Chí Minh
Mua bán đất nền, đất thổ Quận 9 giá tốt, sinh lời cao tháng 12/2025
Đất nền, đất thổ cư luôn là lựa chọn hàng đầu của những nhà đâu tư mới cho đến nhà đầu tư nhiều kinh nghiệm. Đây là kênh đầu tư được giới địa ốc săn lùng nhiều nhất, có thể điểm qua vài lý do tại sao nên đầu tư đất nền:
- Lợi nhuận tốt, thanh khoản cao: Khác với kênh đầu tư nhà ở, chung cư thì kênh đầu tư đất nền, đất thổ Quận 9 có thanh khoản cao hơn vì phù hợp nhiều đối tượng hơn, giá cả cũng linh hoạt và tài chính cũng ít hơn. Nhưng nếu nắm bắt được cơ hội thì có thể x2, x3 tài sản.
- Giá bán đa dạng và ít vốn: kênh đầu tư đất nền, dự án Quận 9 có giá từ vài trăm triệu đến vài tỷ VND tùy từng khu vực và địa điểm so với kênh BĐS khác thì cần ít vốn hơn
- Nhu cầu sử dụng cao: hầu hết các nhà đầu tư batdongsan Quận 9 từ người xử dụng thật đến nhà đầu tư lâu dài, lướt sóng đều thích đất nền, đất thổ. Đồng thời mục đích sử dụng cũng đa dạnh và linh hoạt từ làm nhà, nhà xưởng, cho thuê đất hay đầu cơ.
Những lưu ý khi mua đất nền, đất thổ Quận 9
- Vị trí: Những vị trí đẹp có sự kết nối giao thông thuận lợi tại Quận 9 luôn được đánh giá cao và có tiềm năng tăng giá tốt trong tương lai.
- Dự án “sống”: Hãy chọn mua đất nền, đất dự án Quận 9 ở những nơi đã hay sắp hình thành cụm cư dân. Những nơi kế cận khu dân cư hay tương lai hình thành khu công nghiệp, cầu cảng là sự lựa chọn tốt
- Pháp lý: Chỉ chọn mua đất nền đã có pháp lý hoàn chỉnh, đất thổ có sổ đỏ, không vướng quy hoạch, có giấy phép xây dựng nhằm tránh rủi ro với nhà đầu tư.
- Định giá: Hãy tìm một chuyên gia thẩm định giá đất nền, đất dự án tại Quận 9 để tham vấn về giá đất. Tìm lô đất có giá bằng hoặc thấp hơn thị trường là nguyên tắc lời ngay khi mua.
- Tính thanh khoản: Cân nhắc đến nhu cầu sử dụng thực tế tại Quận 9. Làm khảo sát sơ bộ về các giao dịch đất nền, đất thổ trước khi xuống tiền.
- Môi trường xung quanh Quận 9: Khu dân cư với đầy đủ tiện ích, không khí trong lành sẻ thu hút dân sinh sẻ là khu đất có giá trị trong tương lai.
- Theo đội nhóm: Đầu tư đất nền, dự án Quận 9 cùng nhiều đối tác sẻ giảm thiểu rủi ro nhất là những nhà đầu tư non kinh nghiệm.
Mua bán đất nền, đất thổ giá rẻ Quận 9 ở đâu?
Để tìm được lô đất nền, đất thổ giá rẻ tại Quận 9 tháng 12/2025 bạn có thể truy cập vào bds68.com.vn. Mỗi ngày có hàng nghìn tin đăng mua bán đất Quận 9 được cập nhật nhanh nhất, sớm nhất và chính xác nhất. Trang bds68.com.vn mang đến đang dạng nguồn thông tin, nhiều lựa chọn diện tích và so sánh giá lô đất xung quanh giúp bạn dễ dàng tìm được chính chủ.
Nếu bạn đang sở hữu đất nền, dự án thì có thể đăng tin bán đất miễn phí lên bds68.com.vn để tiếp cận với hàng nghìn người có nhu cầu mỗi ngày.
Tham khảo ngay những tin mua bán đất Quận 9 được quan tâm nhiều nhất hiện nay:
- Mua bán đất Quận 9 dưới 1 tỷ
- Mua bán đất Quận 9 dưới 2 tỷ
- Mua bán đất Quận 9 dưới 3 tỷ
- Mua bán đất Quận 9 dưới 5 tỷ
- Mua bán đất Quận 9 diện tích trên 50m²
- Mua bán đất Quận 9 diện tích trên 60m²
- Mua bán đất Quận 9 diện tích trên 80m²
- Mua bán đất Quận 9 diện tích trên 100m²
















