Đất Mặt TiềnHồ Chí MinhQuận 9Đường Long Phước
Bán đất mặt tiền tại Đường Long Phước, Quận 9
Đường Long Phước, P.Long Phước, Quận 9, HCM
DT: 65m²/ 629tr, đất QH KDC hiện hữu.
.
Đường Long Phước, P.Long Phước, Quận 9, HCM
DIỆN TÍCH 137m² VỊ TRÍ HIẾM TIỀM NĂNG TĂNG GIÁ
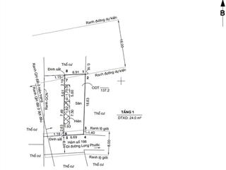
Cần bán nhanh lô đất đẹp tại Long Phước, nằm trong hẻm 198 khu vực đang phát triển mạnh của TP. Thủ Đức.
Diện tích 6,7 x 18m, tổng 137m², thích hợp xây nhà ở hoặc đầu tư giữ tài sản lâu dài.
Ưu điểm vượt trội:
2 mặt tiền thông thoáng
Đường trước 6m, quy hoạch 8m
Đường sau quy hoạch 16m tương lai mở ...
Đường Long Phước, P.Long Phước, Quận 9, HCM
VỊ TRÍ TRUNG TÂM TIỆN ÍCH ĐỦ ĐẦY TIỀM NĂNG TĂNG GIÁ MẠNH
Cần bán lô đất đẹp tại hẻm 198 đường Long Phước, khu vực dân cư đông đúc, giao thông thuận tiện, thuộc TP. Thủ Đức.
Diện tích chuẩn:
Ngang 6,7m Dài 18m
Tổng 137m², rất phù hợp xây nhà phố, nhà vườn mini hoặc đầu tư dài hạn.
Điểm nổi bật giá trị của lô đất:
2 mặt tiền cực thoáng:
Đường ...
Đường Long Phước, P.Long Phước, Quận 9, HCM
DIỆN TÍCH ĐẸP TIỆN ÍCH BAO QUANH ĐẦU TƯ SIÊU TIỀM NĂNG
Lô đất tọa lạc tại hẻm 198 Long Phước, khu dân cư hiện hữu, hạ tầng phát triển mạnh mẽ của TP. Thủ Đức.
Kích thước chuẩn 6,7 x 18m (137m²), phù hợp xây nhà phố, homestay mini hoặc đầu tư dài hạn.
2 mặt tiền cực thoáng:
Đường trước bê tông 6m, quy hoạch 8m
Đường sau quy hoạch 16m tương lai mở ...
Đường Long Phước, P.Long Phước, Quận 9, HCM
Cần bán lô đất đẹp tại hẻm 198 đường Long Phước, sở hữu kích thước chuẩn 6,7 x 18m, diện tích 137m², phù hợp xây nhà ở, đầu tư hoặc khai thác cho thuê.
Điểm nổi bật của lô đất:
2 mặt tiền cực thoáng:
Đường trước bê tông 6m, quy hoạch mở rộng lên 8m
Đường sau quy hoạch lớn 16m tiềm năng tăng giá mạnh
Hướng Bắc Nam, ...
Đường Long Phước, P.Long Phước, Quận 9, HCM
- Vị trí hẻm 423, đường Long Phước, cách trường Đại Học Luật cơ sở 3, 300m. Phường Long Phước, TP Thủ Đức (Q9 cũ), TP HCM.
- Đường trước đất xe tải chạy, đã rải nhựa.
- Hướng đất gần chính Bắc.
- Gần chợ Long Phước, cao tốc Long Thành - Dầu Giây, trường Đại Học Luật đang hoàn thiện.
- Đường Long Phước đang nâng cấp 12m, cầu Long Đại đã ...
Đường Long Phước, P.Long Phước, Quận 9, HCM
- Tổng diện tích 200m² có 192,6m² thổ cư + 6,9m² đất vườn.
- Ngang 6m, đường nhựa trước đất 6m thuận tiện xe hơi ra vào.
- Hướng cửa chính Bắc, phong thủy tốt cho gia chủ.
Chủ hiện có 2 lô sát nhau diện tích gần ...
Đường Long Phước, P.Long Phước, Quận 9, HCM
Diện tích: 815 m2
Giá bán: 25 tỷ
Liên hệ:
Đường Long Phước, P.Long Phước, Quận 9, HCM
Mô tả:
+ Diện tích: 35x50m, 1530m² + 200m² thổ cư, 1330m² cây trồng lâu năm.
+ Mặt tiền đường số 9 - giao đường Long Phước.
+ Ngay chợ Long Phước, đại học luật cơ sở 3.
Liên hệ: Trần Định.
Đường Long Phước, P.Long Phước, Quận 9, HCM
Mặt tiền đường QH 16m vào làng đại học - 90m² giá 4.1 tỷ bán đất tại phường Long Phước Q9.
+ Lô đất mặt tiền đường QH 16m vào làng đại học Long Phước, Q9, trường đại học Luật cơ sở 3 phường Long Phước.
+ Dt: 90m² lô sạch đẹp giá 4.1 tỷ.
+ Hẻm xe hơi, thông vào ra chợ, UBND phường Long Phước, lành đại học Long Phước.
+ Khu dân cư hiện hữu, XD tự do, hoàn công ...
Đường Long Phước, P.Long Phước, Quận 9, HCM
Thửa đất 538, tờ bản đồ 24. Có 200m² thổ cư mặt sông lấn đc 200m.
Gần Phim trường Q9, khu dân cư hiện hữu sầm uất, các tiện ích xung quanh đầy đủ như: Trường học các cấp, ủy ban, bệnh viện, siêu thị.
Đất đai khu vực này đang phát triển nhanh bởi nhiều dự án lớn đang triển khai:
1. Trường Đại học Luật.
2. Kết nối với khu dân cư Long Phước với cao tốc ...
Đường Long Phước, P.Long Phước, Quận 9, HCM
Vị trí: Địa chỉ số 21 đường Long Phước, P. Long Phước, Q9 (ngay chân cầu Long Đại, sát Vinhomes Grand Park).
Diện tích: 35m x 50m Tổng 1.245m² sử dụng có cả mặt tiền đường mặt tiền sông, sử dụng nhiều mục đích!
Đường rộng, khu dân cư hiện hữu, hạ tầng hoàn thiện.
Khu vực đang phát triển mạnh, thích hợp xây biệt thự, kho xưởng, hoặc đầu ...
Đường Long Phước, P.Long Phước, Quận 9, HCM
----
Thông tin cơ bản.
Diện tích: 128m² ngang 8m trong đó có 62m² đất thổ cư + 66m² đất vườn (có thể chuyển lên thổ cư).
Pháp lý: Sổ hồng riêng sang tên ngay.
Hướng: Đông.
Chiều ngang mặt tiền: 8m.
Đường nhựa trước đất: 16 m.
Giá: 5,8 tỷ còn thương lượng.
Mô tả chi tiết.
Lô đất có vị ...
Đường Long Phước, P.Long Phước, Quận 9, HCM
- Diện Tích: 1.738,7m² ( 26m x 60,3m nở hậu 28,2m ) Hướng Chánh Nam. Trong đó có 1.652m² Đất Thổ Cư + 86,7m² Đất CLN.
- Giá Bán: 56 tỷ có thương lượng
Anh/Chị Có Nhu Cầu Mua Bán/ Cho Thuê BĐS TP.Thủ Đức Và Các Quận Lân Cận Liên Hệ Thành
Zalo:
Di động:
Xem quy hoạch tại Quận 9, Hồ Chí Minh
Bán đất mặt tiền Đường Long Phước Tháng 12/2025
Bạn đang xem thông tin Bán đất mặt tiền Đường Long Phước tháng 12/2025 trên bds68.com.vn. Chúng tôi kết nối những người cần mua và cần Bán đất mặt tiền tại Đường Long Phước. Với hàng ngàn tin đăng được cập nhật mỗi phút, thông tin giá cả chính xác, mới nhất, nhanh nhất và đầy đủ nhất.
Bạn dễ dành lọc tin đăng Bán đất mặt tiền ở Đường Long Phước theo địa điểm, giá, diện tích, dự án, đường phố, số phòng ngủ và hướng để tìm ra BĐS mong muốn. Ngoài ra với tính năng gợi ý những batdongsan liền kề cùng mức giá giúp bạn dễ dàng tìm ra chính chủ của BĐS.
Để việc tìm Bán đất mặt tiền tại Đường Long Phước nhanh nhất và phù hợp với nhu cầu, bạn hãy truy cập vào bds68.com.vn. Nếu bạn có bất động sản muốn bán, bạn có thể đăng tin Bán đất mặt tiền miễn phí trên bds68 để tiếp cận với hàng ngàn người.








