Đất Biệt Thự, Dự ÁnHòa Bình
Bán đất biệt thự, dự án tại Hòa Bình
Đường Trần Hưng Đạo, Tt.Hàng Trạm, H.Yên Thủy, HB
Tận hưởng cuộc sống - hòa cùng thiên nhiên.
Toạ lạc tại trung tâm xã Yên Thủy - Tỉnh Phú Thọ.
----------------
Tên dự án: Win Star Hàng Trạm.
Chủ đầu tư: Công ty Cổ phần Đầu tư BĐS & KCN Hà Phương.
Đơn vị phát triển dự án: Công ty Cổ phần Đầu tư ACB Việt Nam.
Vị trí: TT Hàng Trạm, xã Yên Thủy, tỉnh Phú Thọ.
Quy mô: 2.1 ha.
Loại hình sản phẩm: Biệt thự và liền kề.
Hình ...
KĐT The Spring Town Xuân Mai, X.Hòa Sơn, H.Lương Sơn, HB
Dream Garden City , X.Nhuận Trạch, H.Lương Sơn, HB
*** Tại sao nên chọn Dream Garden City ngay lúc này?
+ Vị trí trung tâm giữa thủ phủ nghỉ dưỡng và thủ phủ công nghiệp của tỉnh Hòa Bình.
+ Mặt đường Vành Đai 5. Chỉ 40 phút lái xe từ trung tâm Hà Nội.
+ Hạ tầng bứt phá khi Quốc lộ 6 đang mở rộng mạnh mẽ, rút ngắn thời gian di chuyển, giao ...
Dream Garden City , X.Nhuận Trạch, H.Lương Sơn, HB
Giá khởi điểm chỉ 19,7 triệu/m² mà sở hữu hàng loạt tiện ích cũng như tiềm năng được liệt kê bên dưới
TÂM ĐIỂM HẠ TẦNG ĐÓN SÓNG QUY HOẠCH
Quốc lộ 6 mở ...
Phương Đông Green Valley, X.Tân Vinh, H.Lương Sơn, HB
+ Diện tích rộng 114m², mặt tiền 6m, phù hợp cho nhiều loại hình xây dựng.
+ Đường vào rộng 7m, thuận tiện cho việc di chuyển và giao thông.
+ Giá bán chỉ 22 triệu/m², một mức giá hấp dẫn cho khu vực này.
+ Pháp lý ...
X.Tân Vinh, H.Lương Sơn, HB
- Diện tích: 114m², giá chỉ 22 triệu VND/m².
- Hướng cửa chính: Nam, thuận lợi cho phong thủy.
- Chiều ngang mặt tiền: 6m, lý tưởng cho việc xây dựng.
- Chiều rộng đường trước: 15.5m, thoải mái cho xe cộ ra ...
KĐT The Spring Town Xuân Mai, X.Hòa Sơn, H.Lương Sơn, HB
- Diện tích 106,1m² căn góc hướng Đông Nam vị trí trung tâm dự án, đường trước nhà 17m, đã có sổ đỏ không phải xây.
- Mặt đường Quốc Lộ 21 đã có quy hoạch mở rộng đoạn Sơn Tây - Hòa Lạc - Xuân Mai, Cạnh đại học Lâm Nghiệp, mở cổng ra trường đại học Phòng cháy chữa cháy tại Xuân Mai.
Ngay cạnh cụm Công nghiệp Hoà Sơn 70ha.
- Gần đường Đông ...
Hòa Bình New Center, P.Thống Nhất, Tp.Hòa Bình, HB
Diện tích: 98m².
Pháp lý: Sổ đỏ từng lô, sang tên ngay.
Giá bán: 19 triệu/m² (tổng chỉ từ 1,862 tỷ).
Vị trí: Trung tâm TP Hòa Bình mặt tiền QL6, kết nối thuận tiện về Hà Nội (chỉ 60 phút khi cao tốc Hòa Lạc Hòa Bình hoàn thiện 2028).
Tiện ích: Dự án quy hoạch 27,2ha, mật độ xây dựng thấp, có suối tự nhiên, 9 công viên, trường học, TTTM, khu thể ...
Riverview Lương Sơn, Tt.Lương Sơn, H.Lương Sơn, HB
- Diện tích đất: 99,3m².
- Mặt tiền: 6,6m.
- Lô liền kề mặt đường 13m nhìn trực diện công viên trung tâm Khu đô thị Riverview Lương Sơn.
- Nằm trong quần thể khu đô thị hoàn chỉnh nhất Lương Sơn, liền kề dự án KĐT sông Bùi của Chủ đầu tư Xuân Cầu quy mô 60,3ha.
- Tiềm năng đầu tư tăng lãi vốn x2 sau khi Lương Sơn lên thị xã năm 2025, thuận tiện cho ...
H.Lương Sơn, HB
Giá bán cực hấp dẫn chỉ hơn 18tr/m2, giá chưa tới 4 tỷ đồng
Khu đô thị với hơn 20 tiện ích đáng sống: Công viên, trung tâm thương mại, trường mầm non, nhà sinh hoạt cộng đồng, bãi đỗ xe, 81 căn shophouse xây sẵn.
Liên hệ em ngay để đàm phán giá, chủ cực thiện chí bán nhanh
Ngọc Tuyền ...
Centre Ville Lương Sơn Hòa Bình, X.Tân Vinh, H.Lương Sơn, HB
Diện tích 100m² (5x20), thoáng sau 2m
Hướng tây tứ trạch
Đường rộng 15.5m
Pháp lý sổ đỏ chính chủ
Công chứng sang tên ngay
Giá 22tr/m². Rất hợp lý cho nhà đầu tư
Dự án đẹp, hạ tầng chất lượng, mật độ xây dựng thưa, không gian thoáng đãng, cây cối tươi tốt
Đặc biệt tiềm năng tăng giá cao
Làm nhà cuối tuần, hoặc mua xây nhà ở chất lượng cao cấp ...
Dream Garden City , X.Nhuận Trạch, H.Lương Sơn, HB
Mức giá "vùng trũng" cực hấp dẫn: Chỉ từ 19,7tr/m² cho một vị trí vàng ngay mặt đường Vành đai 5
Vị trí "Tựa sơn hướng lộ" - Đón sóng hạ tầng:
- Mặt tiền Vành đai 5: Trục giao thông huyết mạch kết nối liên tỉnh, tiềm năng tăng giá phi mã.
- Sát cạnh Legacy Hill: Hưởng trọn tiện ích cao cấp từ quần thể đẳng cấp nhất khu vực.
- ...
Dream Garden City , X.Nhuận Trạch, H.Lương Sơn, HB
Ngay Legacy Hill - bám Vành Đai 5 - giá từ 19,7tr/m2
+ Ba mặt tiền
+ 50 mét ra Quốc Lộ 6
+ gần Khu Công Nghiệp Nhuận Trạch
+ sổ đỏ rõ ràng
Điểm khác của dự án: hướng nghỉ dưỡng ven đô nên nhiều cây xanh, có hồ bơi và khu dạo bộ ven suối khá chill
- Diện tích: 120m2
Quan tâm hotline em gửi quỹ căn & tư vấn cụ thể ạ:
Phương Đông Green Valley, X.Tân Vinh, H.Lương Sơn, HB
+ Diện tích rộng 114m², mặt tiền 6m, phù hợp cho nhiều loại hình xây dựng.
+ Ngõ vào rộng 7m, thuận tiện cho việc di chuyển và giao thông.
+ Giá bán chỉ 24 triệu/m², một mức giá hấp dẫn cho khu vực này.
+ Pháp lý ...
Phương Đông Green Valley, X.Tân Vinh, H.Lương Sơn, HB
+ Diện tích rộng 114m², mặt tiền 6m, phù hợp cho nhiều loại hình xây dựng.
+ Ngõ vào rộng 7m, thuận tiện cho việc di chuyển và giao thông.
+ Giá bán chỉ 24 triệu/m², một mức giá hấp dẫn cho khu vực này.
+ Pháp lý ...
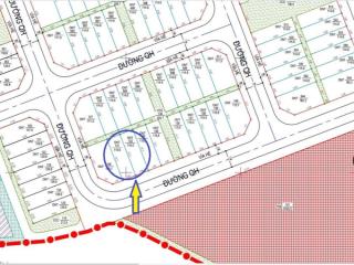
Phương Đông Green Valley, X.Tân Vinh, H.Lương Sơn, HB
Vị trí Lô góc cạnh công viên xanh Đối diện hồ điều hòa thoáng mát
Thông tin lô đất:
Diện tích 114m full thổ cư, mặt tiền chính 6m
Nằm trong khu phân lô đấu giá Phương Đông GrenVally, pháp lý rõ ràng sổ hồng công chứng trong ngày, hạ tầng đồng bộ
Vị trí tiềm năng:
Kết nối giao thông thuận tiện, cách ...
Phương Đông Green Valley, X.Tân Vinh, H.Lương Sơn, HB
Chuyen mua - bán - kí gửi nhà đất em chau.
Mặt trục chính Liên xã Tân Vinh, đường này sau quy hoạch mở rộng thành đường 24m, đường thông QL6, buôn bán kinh doanh được. Đối diện nhìn sang Dự án Nhà ở Hai bên Sông Bùi đã có CĐT trúng đấu giá.
Diên tích 120 m² MT 6m rất vừa khuôn tiền.
Liên hệ để thương lượng giá nét .
Dream Garden City , X.Nhuận Trạch, H.Lương Sơn, HB
*** Tại sao nên chọn Dream Garden City ngay lúc này?
+ Vị trí trung tâm giữa thủ phủ nghỉ dưỡng và thủ phủ công nghiệp của tỉnh Hòa Bình.
+ Mặt đường Vành Đai 5. Chỉ 40 phút lái xe từ trung tâm Hà Nội.
+ Hạ tầng bứt phá khi Quốc lộ 6 đang mở rộng mạnh mẽ, rút ngắn thời gian di chuyển, giao ...
KĐT Kỳ Sơn, P.Kỳ Sơn, Tp.Hòa Bình, HB
Bác nào cần liên hệ với tôi, chính chủ, sẵn sổ ko vay
9 DownTown Lương Sơn, Tt.Lương Sơn, H.Lương Sơn, HB
- Diện tích: 136.5m², 2 mặt tiền rộng, đất vuông vắn dễ xây dựng.
- Nằm trong khuôn viên hạ tầng đồng bộ, trục đường nội khu 12m, 16m.
- Khu dân cư đông đúc, văn minh tiềm năng tăng giá mạnh.
- Phù hợp: Xây nhà ở, kinh doanh nhỏ, đầu tư giữ tiền lâu dài.
- Sổ đỏ chính chủ pháp lý rõ ràng.
Liên hệ em Linh: .
Xem quy hoạch tại Hòa Bình
Bán đất biệt thự, dự án Hòa Bình Tháng 5/2026
Bạn đang xem thông tin Bán đất biệt thự, dự án Hòa Bình tháng 5/2026 trên bds68.com.vn. Chúng tôi kết nối những người cần mua và cần Bán đất biệt thự, dự án tại Hòa Bình. Với hàng ngàn tin đăng được cập nhật mỗi phút, thông tin giá cả chính xác, mới nhất, nhanh nhất và đầy đủ nhất.
Bạn dễ dành lọc tin đăng Bán đất biệt thự, dự án ở Hòa Bình theo địa điểm, giá, diện tích, dự án, đường phố, số phòng ngủ và hướng để tìm ra BĐS mong muốn. Ngoài ra với tính năng gợi ý những batdongsan liền kề cùng mức giá giúp bạn dễ dàng tìm ra chính chủ của BĐS.
Để việc tìm Bán đất biệt thự, dự án tại Hòa Bình nhanh nhất và phù hợp với nhu cầu, bạn hãy truy cập vào bds68.com.vn. Nếu bạn có bất động sản muốn bán, bạn có thể đăng tin Bán đất biệt thự, dự án miễn phí trên bds68 để tiếp cận với hàng ngàn người.
















