Nhà Đất BánHồ Chí MinhQ. Bình TânP. An Lạc
Mua bán nhà đất tại Phường An Lạc, Quận Bình Tân giá 20 tỷ đến 50 tỷ diện tích lớn hơn 80 m²
Nam Hùng Vương, P.An Lạc, Q.Bình Tân, HCM
Tổng diện tích 468,6m². Ngang 11m.
Vị trí nằm đối diện công viên.
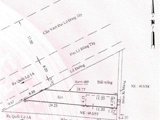
Đường Nguyễn Quý Yêm, P.An Lạc, Q.Bình Tân, HCM
Diện tích :1500m2 ngang 15m dài 102m nở hậu tài lộc
Kết cấu :đất trống phù hợp xây nhà xưởng kho bãi trường học
Vị trí bao đẹp gần bến xe miền tây 200m ra mặt tiền An Dương Vương di chuyển vào trung tâm rất thuận tiện
Pháp lý :Sổ hồng chính chủ công chứng ngay
Giá Gấp Bán:40 tỷ thương lượng
...
Đường Kinh Dương Vương, P.An Lạc, Q.Bình Tân, HCM
Xung quanh còn có đầy đủ các tiện ích như chợ, trường học các cấp, ngân hàng, TTTM Aeon Mall, rất thuân tiện cho các sinh hoạt hằng ngày.
- Vị trí: MT đường Kinh Dương Vương, P. An Lạc, Q. Bình Tân
- Diện tích: 6.5 x 50m, NH 9m
- Kết cấu: cấp 4 ...
Đường Kinh Dương Vương, P.An Lạc, Q.Bình Tân, HCM
- Khu dân cư hiện hữu sổ hồng riêng được phép xây dựng cao tầng
- Công nhận 210m² đất
- Ngang 5 dài 42 vuông vức
- Nhà cấp 4 đang cho thuê
Giá: 29 tỷ (thương lượng)
Liên hệ Nhật Nam sđt hoặc zalo ngay để biết xhi tiết
Nhận ký gửi BĐS các quận trung tâm
Nam Hùng Vương, P.An Lạc, Q.Bình Tân, HCM
+ Vị trí: Tuyệt đỉnh Nam Hùng Vương, view công viên cực thoáng mát trong lành, rất nhiều biệt thự vây quanh.
Giao thông thuận tiện di chuyển về các Quận 5, 6, 11, Tân Bình, Tân Phú.
Gần Aeon Mall Bình Tân, Võ Văn Kiệt, Galaxy An Dương Vương, Royal School...
+ Kết cấu: 1 trệt 3 lầu, diện tích công ...
Đường 34A, P.An Lạc, Q.Bình Tân, HCM
DT 11x17m, xây dựng 3 lầu.
Nhiều tiện ích xung quanh.
Sổ hồng chính chủ bán.
Giá 20,5 tỷ còn thương lượng.
Liên hệ gặp Phi .
Cảm ơn quý khách đã xem tin.
Nhận ký gửi nhà đất chính chủ.
Đường Võ Văn Kiệt, P.An Lạc, Q.Bình Tân, HCM
Diện tích: 347 m² full đất ODT. 2 sổ liền kề chiều ngang mặt tiền rộng 18,5m.
Vị trí: Khu dân cư hiện hữu, vào trung tâm chỉ mất 5 phút đi xe.
- Cách khu đất chỉ 30m là tuyến đường Vành đai đang chuẩn bị hoàn thiện đưa vào sử dụng, tiềm năng phát triển cực lớn.
- Sổ hồng riêng, pháp lý chuẩn, công chứng ngay.
Giá: 40 tỷ bớt lộc khách thiện ...
Đường Võ Văn Kiệt, P.An Lạc, Q.Bình Tân, HCM
Mô tả:
+ Diện tích: 2.000m², ngang 39m, dài 52 gồm 4 Sổ, thổ cư 1793m².
+ Đất lớn tiện làm kho xưởng, kho bãi, bãi giữ xe, nhà xưởng.
- Đang có sẳn 1 nhà 4x14, 2 tầng gồm: 2pn, 2wc.
- 1 nhà cấp 4 cho bảo vệ ở và 1 wc cho khách vãng lai.
+ Mặt tiền đường Võ Văn Kiệt kinh doanh đỉnh.
Kế bên Toyota Bến Thành Võ Văn Kiệt.
- ...
Đường Võ Văn Kiệt, P.An Lạc, Q.Bình Tân, HCM
Mới mở mặt tiền đường bờ kênh, tiềm năng phát triển cực cao
Đất full thổ, xây dựng cao tầng
Sổ riêng, pháp lý chuẩn, công chứng ngay
Đt/Zalo: - Luận
Đường Tên Lửa, P.An Lạc, Q.Bình Tân, HCM
Mặt tiền 12m, đã xây dựng full đất. Không phải lùi trước lùi sau như quy định mới hiện tại.
Sổ công nhận đủ 178m² đã hoàn công nhà đầy đủ.
Khách thuê kinh doanh quán cafe rất đông khách, quán nổi tiếng nhiều báo mạng đưa tin, hợp đồng dài hạn ổn định.
Chi tiết xin vui lòng xem hình ảnh đính kèm.
Giá 25 tỷ - rất thiện chí bán để thu xếp tài chính mua ...
Đường Lê Đình Cẩn, P.An Lạc, Q.Bình Tân, HCM
Xung quanh còn có đầy đủ tiện ích như siêu thị, chợ Bình Trị, ngân hàng, TTTM Aeon Mall Bình Tân, rất thuận tiện cho các sinh hoạt hằng ngày.
- Vị trí: MT đường Lê Đình Cẩn, P. An Lạc, Q. Bình Tân
- Diện tích: 8 x 40m, NH 13m Tổng 426m² .
- Kết cấu: ...
Đường Võ Văn Kiệt, P.An Lạc, Q.Bình Tân, HCM
Diện tích :1800m2 ngang 30m dài 60m nở hậu tài lộc
Kết cấu :đất trống phù hợp xây nhà xưởng kho bãi nhà hàng quán nhậu
Vị trí bao đẹp mặt tiền đường rộng 50m
Pháp lý :Sổ hồng chính chủ công chứng ngay
Giá Gấp Bán:30 tỷ thương lượng
Lh Mr Sỹ Đức CHUYÊN NHÀ MT-CHDV -NHÀ XƯỞNG
Đường Võ Văn Kiệt, P.An Lạc, Q.Bình Tân, HCM
DT 10 x20m, tổng diện tích 206m², trong đó có 198.8 m² thổ cư còn lại 7 m là đất nông nghiệp vị trí rất đẹp nằm sát dự án Kitagood có nhiều tiện ích xung quanh nhà hàng tiệc cưới. Ngân hàng. Siêu thị. Là lô góc nên cũng thuận tiện cho việc kinh doanh các ngành nghề.. Chủ đã có công văn giấy phép xây dựng lô này 7 đến 9 tầng nay chủ gởi ...
Đường Tên Lửa 2, P.An Lạc, Q.Bình Tân, HCM
+ Nhà mặt tiền kinh doanh, số 708A Tên Lửa, Q. Bình Tân, Tp Hcm.
+ DT 178m², Mặt tiền 12m, đã xây dựng full đất.
+ Sổ công nhận đủ 178m², đã hoàn công, nhà gồm 4 tầng, Dt sàn 426m².
+ cho Khách thuê kinh doanh quán cafe rất đông khách, quán nổi tiếng, hợp đồng dài hạn ổn định.
+ Giá 25 tỷ, rất thiện chí bán!
+ Tel/zalo :
+ Nhà đầu tư & anh em kết nối liên hệ nhé !
+ ...
Đường Kinh Dương Vương, P.An Lạc, Q.Bình Tân, HCM
-Nhà 1 trệt 1 lầu BTCT,4PN,4WC,sân đậu xe rộng
-Hẻm 3m ô tô vào nhà,cách mặt tiền 30m
-Diện tích 340m²,ngang 7.5,nở hậu 12,dài 37m
-Sổ chính chủ,không lộ giới.Giá 30 tỷ.LH
Đường Kinh Dương Vương, P.An Lạc, Q.Bình Tân, HCM
Mô tả:
- Diện tích khủng 400m² full thổ cư k quy hoạch. Thích hợp phân lô, xây biệt thự, nhà trọ,...
- Hẻm xe hơi tránh nhau xe tải ra vào thoải mái.
- Ngang 20m dài 20m vuông vức không lỗi.
- Sẵn biệt thự 1 trệt 1 lầu chia làm 2 căn mỗi căn 3 - 4 phòng ngủ, WC riêng. Tổng 2 căn 7PN, 7WC.
- Sổ đẹp, hoàn công, chủ để tại nhà, ...
Đường Kinh Dương Vương, P.An Lạc, Q.Bình Tân, HCM
_Nhà 1 trệt 1 lầu, diện tích: 7m x 50 m (nở hậu 9m).
_Gần các tuyến đường lớn như Quốc Lộ 1A, Võ Văn Kiệt.
_Di chuyển thuận lợi tới Trung tâm Quận 1, Quận 5, Quận 6, Quận 12,...
_Gần Siêu thị Big C An Lạc, Aeon Mall Bình Tân.
_Quy hoạch ra lô góc mũi tàu,được xây dựng cao tầng.
_Phù hợp mua đầu tư, xây tòa nhà cho thuê.
Liên hệ trao ...
Đường Vành Đai Trong, P.An Lạc, Q.Bình Tân, HCM
* Hiện đang cho thuê khoáng 100 triệu/ tháng, hợp đồng 5 năm.
(2 Năm trượt giá 10%).
* Đường to, rộng thông thoáng, gần Tên Lửa, Kinh Dương Vương, Bến Xe Miền Tây, Q6.
* Trước Khách sạn có một khoảng sân rất to, tiện đậu xe hơi cho khách.
* Khu vực dân cư đông đúc, rất tiện kinh doanh, làm nghành dịch vụ.
* Sổ hồng chính ...
Đường Tên Lửa, P.An Lạc, Q.Bình Tân, HCM
- CHÍNH CHỦ GỬI SIÊU PHẨM MẶT TIỀN ĐƯỜNG NGAY KHU TÊN LỬA PHƯỜNG AN LẠC
- DT : 9X20M. 4 TẦNG VỚI 10PHÒNG 2 SÂN THƯỢNG CHỦ XÂY TÂM HUYẾT , NỘI THẤT TOÀN HÀNG NHẬP GIÁ TRỊ CAO - VỊ TRÍ CỰC ĐẸP,TIỆN ÍCH BỦA VÂY
Mô tả : - Kết cấu nhà 1 trệt 3 Lầu với 10PN, 11WC 2 Sân Thượng-Công năng đầy đủ với Thang máy , Phòng Giải ...
Đường Kinh Dương Vương, P.An Lạc, Q.Bình Tân, HCM
Xem quy hoạch tại P. An Lạc, Q. Bình Tân, Hồ Chí Minh
Mua Bán Bất Động Sản Phường An Lạc, Quận Bình Tân Tháng 3/2026
Mua bán nhà đất Phường An Lạc, Quận Bình Tân ngày càng hứa hẹn là thị trường đầy tiềm năng khi được sự quan tâm của nhiều nhà đầu tư của trong và ngoài nước. Hàng loạt các loại hình bất động sản từ nhà riêng, nhà phố, nhà mặt tiền, đất nền, dự án, biệt thự, căn hộ chung cư... đều trở thành tiêu điểm chú ý của bất động sản Phường An Lạc, Quận Bình Tân.
Để cập nhật những thông tin bất động sản Phường An Lạc, Quận Bình Tân chính xác nhất, mới nhất hãy truy cập vào bds68.com.vn để theo dõi giá bất động sản Phường An Lạc, Quận Bình Tân tháng 3/2026. Với bds68.com.vn bạn dễ dành lọc theo địa điểm, giá, diện tích, dự án, đường phố, số phòng ngủ và hướng để tìm ra BĐS mong muốn. Ngoài ra với tính năng gợi ý những batdongsan liền kề cùng mức giá giúp bạn dễ dàng tìm ra chính chủ của BĐS.
Việc mua bán nhà đất Phường An Lạc, Quận Bình Tân trở nên dễ dàng, thuận tiện và an toàn hơn, người mua cần chú ý các điểm sau đây:
✅ Vấn đề pháp lý tại Phường An Lạc, Quận Bình Tân: Nên mua những bđs có đầy đủ giấy tờ, tránh mua nhà qua giấy tay và cần lưu ý vấn đề tranh chấp và nợ thế chấp của BĐS.
✅ Thông tin quy hoạch tại Phường An Lạc, Quận Bình Tân: Việc này có thể mất thời gian nhưng nhất định phải làm, để tránh mua phải nhà cửa, đất đai vướng vào quy hoạch treo. Bạn cần mang bản photo sổ đỏ đến Phòng Tài nguyên môi trường ở quận/huyện hay bộ phận một cửa của UBND quận, huyện nơi bất động sản toạ lạc.
✅ Vị trí và các yếu tố phong thủy: Vị trí là một trong nhưng yếu tố hàng đầu quyết định giá nhà hiện tại và giá nhà trong tương lai tại Phường An Lạc, Quận Bình Tân. Những vị trí thuận lợi về mặt giao thông, gần nhiều tiện ích và dịch vụ thiết yếu như: chợ, trường học, trung tâm thương mại, bệnh viện, công viên, nhà văn hóa… Phong thủy cũng là yếu tố quan trọng góp phần mang vận may cũng như sức khỏe, tiền tài của người trong gia đình
✅ Tìm hiểu môi trường cư dân xung quanh: Dù là định cư lâu dài, hay chỉ là mua lại kinh doanh thì khu dân cư nơi đó cũng là một điểm sáng quan trọng. Giá nhà ở Phường An Lạc, Quận Bình Tân có xu hướng tăng nhiều hơn ở khu nhà giàu và dân trí cao.
✅ Các điều khoản trong hợp đồng cần phải được quy định rõ ràng và chi tiết: về giá bán bất động sản Phường An Lạc, Quận Bình Tân, cách thanh toán, thời hạn thanh toán, thời hạn bàn giao, các mức bồi thường thiệt hại,…
Để tìm mua nhà cửa, đất đai tại Phường An Lạc, Quận Bình Tân giá rẻ, chính chủ và mới nhất, bạn hãy truy cập vào bds68.com.vn hoặc nếu bạn có bất động sản muốn bán, bạn có thể đăng tin miễn phí mua bán nhà đất trên bds68 để dễ dàng tiếp cận với hàng triệu người đang có nhu cầu.
Tham khảo ngay những tin mua bán nhà đất Phường An Lạc, Quận Bình Tân được quan tâm nhiều nhất hiện nay:
- Mua bán nhà đất Phường An Lạc, Quận Bình Tân dưới 1 tỷ
- Mua bán nhà đất Phường An Lạc, Quận Bình Tân dưới 2 tỷ
- Mua bán nhà đất Phường An Lạc, Quận Bình Tân dưới 3 tỷ
- Mua bán nhà đất Phường An Lạc, Quận Bình Tân dưới 5 tỷ
- Mua bán nhà đất Phường An Lạc, Quận Bình Tân diện tích trên 50m²
- Mua bán nhà đất Phường An Lạc, Quận Bình Tân diện tích trên 60m²
- Mua bán nhà đất Phường An Lạc, Quận Bình Tân diện tích trên 80m²
- Mua bán nhà đất Phường An Lạc, Quận Bình Tân diện tích trên 100m²













