Bán nhà biệt thự, dự án tại Quận Nam Từ Liêm, Hà Nội giá 20 tỷ đến 50 tỷ diện tích 80 đến 100 m²

Tất Cả
Cá Nhân
Môi Giới
Bán căn liền kề flc premier parc đại mỗ, dt 90m2 thiết kế 4 tầng 1 tum giá 25 tỷ.  0939 668 ***
3
25 tỷ 90 m²
Nhà Biệt Thự, Dự Án

FLC Premier Parc Đại Mỗ, P.Đại Mỗ, Q.Nam Từ Liêm, HN

Bán căn liền kề FLC Premier Parc Đại Mỗ.
Diện tích 90m² thiết kế 4 tầng 1 tum.
Xây thô hoàn thiện mặt ngoài.
Giá 25 tỷ.
LH (miễn trung gian + báo đài).
Liền kề vinhomes gardenia  phố vip hàm nghi  nam từ liêm  trung tâm mỹ đình 94m2, 42 tỷ
14
42 tỷ 94 m²
Nhà Biệt Thự, Dự Án
6 7

Vinhomes Gardenia, Tt.Cầu Diễn, Q.Nam Từ Liêm, HN

Liền kề Vinhomes Gardenia - phố vip Hàm Nghi - Nam Từ Liêm - trung tâm Mỹ Đình.

* Diện tích 94m², 5 tầng, mặt tiền 6m, thang máy nhập khẩu.
* Giá 42 tỷ.
* Chủ bán tặng lại nội thất xịn sò.

Vinhomes Gardenia (tên gọi khác: Khu chức năng đô thị Thành phố Xanh) phố VIP Hàm Nghi, quận Nam Từ Liêm, trung tâm Mỹ Đình.
* Khu vực sống đẳng cấp của giới đại gia.
* Đường phố thoáng rộng, xe ô tô dừng đỗ ...
Bán gấp căn liền kề louis city đại mỗ cần thanh khoản nhanh có sổ 26.5 tỷ vị trí đẹp  0963 689 ***
10
26.5 tỷ 90 m²
Nhà Biệt Thự, Dự Án

Louis City, P.Đại Mỗ, Q.Nam Từ Liêm, HN

Cần bán liền kề biệt thự Louis City Đại Mỗ, diện tích 96m².
Giá tốt cho ai thiện chí chốt sớm.
- Nhà thô cơ bản.
- Căn có sổ 26,5 tỷ chủ cần bán nhanh vị trí đẹp đường to

- Thiết kế cực kỳ hợp lý, cảnh quan không gian đẹp và thoáng.
Thiện chí bán và có gia lộc cho khách.
LH ngay: .
Siêu phẩm louis bán nhà liền kề louis đại mỗ, nhà đẹp full nội thất
6
30.4 tỷ 100 m²
Nhà Biệt Thự, Dự Án
5 5

Louis City, P.Đại Mỗ, Q.Nam Từ Liêm, HN

Người đăng: Kimchi (49 tin đăng)
- Siêu phẩm Louis vị trí vàng sát Lê Quang Đạo gần Vinhom giai đoạn 2 chuẩn bị khởi công, nhà đẹp vừa ở vừa đầu tư tương lai.
- Nằm ngay sát trục đường Lê Quang Đạo mở rộng và liền kề khu đô thị Vinhomes Smart City, ngôi nhà Louis đang sở hữu vị trí vàng hiếm có nơi hội tụ tiềm năng tăng giá vượt bậc trong thời gian tới.
- Cơ sở hạ tầng khu vực đang được đẩy mạnh, tuyến đường huyết mạch - kéo ...
Tổng hợp liền kề biệt thự khu đô thị foresa xuân phương diện tích 90 m 132 m 150 m 260 m rẻ nhất.
7
21 tỷ 90 m²
Nhà Biệt Thự, Dự Án

Khu đô thị Xuân Phương, P.Xuân Phương, Q.Nam Từ Liêm, HN

Liền kề Tt 8 dt 90 m mt 6 m 4 tầng mặt trục chính bán 21 tỷ .

Biệt thự Tt 2 dt 132 m mt 8 m 4 tầng 30 tỷ đường hè rộng 30 m .

Biệt thự TT 6 dt 150 m 4 tầng hoàn thiện cơ bản mặt tiền 8 m bán 30 tỷ .

Biệt thự TT 6 lô góc dt 160 m 4 tầng bán 40 tỷ .

Biệt thự đơn lập diện tích 260 m 4 tầng mặt tiền 13 m bán 58 tỷ .
Bán nhà lk hd mon phố lê đức thọ, mỹ đình dt 84m2x6tx6m mt 42,5 tỷ kinh doanh sầm uất dòng tiền tốt
4
42.5 tỷ 84 m²
Nhà Biệt Thự, Dự Án

Đường Lê Đức Thọ, P.Mỹ Đình 2, Q.Nam Từ Liêm, HN

Bán nhà LK HD Mon, phố Lê Đức Thọ, Mỹ Đình DT 84m2x6Tx6m MT. Giá 42,5 tỷ, kinh doanh sầm uất, dòng tiền tốt.
+ Vị trí đắc địa vip nhất khu vực đối diện là biệt thự Hoàng Gia The Zei, thông với các tuyến phố, Hàm Nghi, Nguyễn Cơ Thạch, Nguyễn Hoàng, Lê Quang Đạo, Hồ Tùng Mậu, Trần Vỹ, Tôn Thất Thuyết.
+ Nhà thiết kế hiện đại 7 tầng thang máy.
+ Kinh doanh đa dạng: Ngân hàng, văn phòng, showroom, ...
Hot! bán liền kề mặt đường văn tiến dũng rộng 40m view công viên, mặt tiền rộng 2 mặt đường, 4 tầng
10
26 tỷ 90 m²
Nhà Biệt Thự, Dự Án

Xuân Phương Tasco, P.Xuân Phương, Q.Nam Từ Liêm, HN

Hot! Bán căn liền kề mặt đường Văn Tiến Dũng kéo dài rộng 40m, vỉa hè rộng 5m, tại khu đô thị Xuân Phương Tasco.
+ Diện tích: 90m².
+ Mặt tiền: 6m.
+ 2 mặt đường 40m và 11m.
+ Xây dựng: 4 tầng.
+ Kinh doanh, cho thuê thuận tiện.
+ Vị trí ngay cạnh Mỹ Đình.
+ Giá cực tốt: 26 tỷ thu về có đàm phán.
Giá bán chỉ bằng 2/3 khu Mỹ Đình.

Liên hệ: để được tư vấn và xem nhà.
Cập nhật quỹ hàng chuyển nhượng liền kề bt đường lê quang đạo dự án louis city đại mỗ chỉ từ 24 tỷ
17
24 tỷ 100 m²
Nhà Biệt Thự, Dự Án

Louis City, P.Đại Mỗ, Q.Nam Từ Liêm, HN

Quỹ hàng độc quyền tại dự án Louis City Đại Mỗ.
Giá tốt nhất cập nhật mới nhất ngày 9/10/2025.
Chính chủ em bán căn liền kề ~ biệt thự Louis City
mặt Lê Quang Đạo duy nhất 1 căn khe thoáng và 1 căn thường đã có sổ đỏ và HĐMB.
Giá chỉ loanh quanh khoảng 50 tỷ.
Louis I: Trục đường 21,5m trục chính diện tích 108m² mặt tiền 5m hướng ĐN mặt sau view công viên lớn. Giá hơn 30 tỷ.
Louis II: Đường 12m ...
Đầu tư biệt thự liền kề đại mỗ kết nối hạ tầng lê quang đạo sinh lời ổn định  82m 2 22 tỷ.
3
22 tỷ 82 m²
Nhà Biệt Thự, Dự Án
6 5

Đường Đại Mỗ, P.Đại Mỗ, Q.Nam Từ Liêm, HN

ĐẦU TƯ BIỆT THỰ LIỀN KỀ ĐẠI MỖ KẾT NỐI HẠ TẦNG LÊ QUANG ĐẠO SINH LỜI ỔN ĐỊNH

Diện tích 82m, mặt tiền 5,2m, nhà 4 tầng xây chắc chắn, phù hợp kinh doanh, cho thuê văn phòng hoặc tích lũy tài sản.
Nằm tại ngã tư Lê Quang Đạo Đại Mỗ Aeon Mall Hà Đông, trung tâm quy hoạch phía Tây Hà Nội, hưởng lợi trực tiếp từ hạ tầng mở rộng Đại Mỗ Tây Mỗ.
Đường rộng, ô tô tránh, vỉa hè thoáng.

Khu vực ...
Cập nhật bảng hàng chuyển nhượng liền kề, biệt thự, vinhomes gardenia, mỹ đình 1/10/2025
4
30 tỷ 100 m²
Nhà Biệt Thự, Dự Án
4 5

Vinhomes Gardenia, Tt.Cầu Diễn, Q.Nam Từ Liêm, HN

Người đăng: Mr Tú (4 tin đăng)
Cập nhật bảng hàng Vinhomes Gardenia - Hàm Nghi: 1/10/2025.
Shophouse:
Shophouse nội khu TMDV, diện tích 100m², mặt tiền 5,5 m bán giá 30 tỷ.
Shophouse mặt đường Nguyễn Văn Giáp 120m², mặt tiền 6,5 m, bán giá 36 tỷ.
Shophouse 93 m², thô bán 36 tỷ.
Shophouse đã hoàn thiện mặt đường hoa bán 40 tỷ.
Shophouse mặt Hàm Nghi cho thuê dòng tiền 1tỷ/ năm bán 5x tỷ.

Liền kề:
LK B11 - 1X. MT 8m. DT 152m². ...
Bán nhà liền kề flc premier parc đại mỗ giá 25 tỷ 90m2 mặt tiền 6m
7
25 tỷ 90 m²
Nhà Biệt Thự, Dự Án
5 5

FLC Premier Parc Đại Mỗ, P.Đại Mỗ, Q.Nam Từ Liêm, HN

Bán căn nhà liền kề FLC Premier Parc Đại Mỗ 90m² xây 5 tầng mặt tiền 6m giá 25 tỷ bao phí.
Liên hệ ngay: .
Cần bán lk flc đại mỗ gấp giá rẻ
3
26.5 tỷ 98 m²
Nhà Biệt Thự, Dự Án
5 5

FLC Garden City, P.Đại Mỗ, Q.Nam Từ Liêm, HN

Cần tiền bán gấp LK FLC Đại Mỗ - Nam Từ Liêm.
MT: 7m, DT: 98m² x 4 tầng, vị trí rất đẹp, đường + hè rộng, hạ tầng đồng bộ, ngay sát chân chung cư.
Thuận tiện giao thông, cách Aeon Mall Hà Đông 100m, SĐCC.
Cầu thang gỗ lim, bể phốt đổ bê tông,
Hiện chủ đang cho thuê 30 triệu/tháng.
Sổ đỏ trao tay, hỗ trợ vay NH.
Giá rẻ nhất thị trường.

Mọi thông tin chi tiết liên hệ:
em Quyên.
Bán biệt thự 90m2 tại sudico mỹ đình, giá cực chất 38 tỷ vnd, 5pn, 2wc
2
38 tỷ 90 m²
Nhà Biệt Thự, Dự Án
5 2

Sudico Mỹ Đình, P.Mỹ Đình 1, Q.Nam Từ Liêm, HN

Biệt thự nằm ở Khu đô thị Mỹ Đình Sông Đà - Sudico, Phạm Hùng, Mỹ Đình 1, Nam Từ Liêm, Hà Nội.
Căn biệt thự 4 tầng, thiết kế hiện đại, đầy đủ nội thất, 5PN, 2WC.
Hướng cửa chính Tây, ban công Đông Bắc, mặt tiền 4m, ngõ vào rộng 10m, thuận lợi cho xe ô tô.
Pháp lý đầy đủ, sổ đỏ.

Cách trường học khoảng 1km, gần chợ và siêu thị điện máy Pico, Vinmart Vincom Skylake, và siêu thị Hà Đăng.
Gần các ...
Bán nhà liền kề louis đại mỗ nam từ liêm, giá rẻ nhất khu vực vị trí kinh doanh
4
26.9 tỷ 100 m²
Nhà Biệt Thự, Dự Án

Louis City, P.Đại Mỗ, Q.Nam Từ Liêm, HN

Người đăng: Kimchi (49 tin đăng)
- Liền kề dự án Louis Đại Mỗ, Nam Từ Liêm khu vực đang được săn đón nhất lúc này với hạ tầng đồng bộ và sát đường lê quang đọa kéo dài, tuyến đường huyết mạch kết nối thẳng trung tâm thành phố và sát với Vinhomes giai đoạn 2 đang chuẩn bị được khởit công, các bộ ban ngành đang chuyển về tuyến đường đầu Đại Lộ Thăng Long,... Thông đại lộ Thăng Long, Tố Hữu, đường 70, Lê Trọng Tấn, kết nối Vành Đai ...
Bán liền kề kdt mỹ đình sông đà. dt 91m2 x 4 tầng nổi và 1 hầm, hai mặt thoáng. giá 42 tỷ.
3
42 tỷ 91 m²
Nhà Biệt Thự, Dự Án
4 4

Đường Đình Thôn, P.Mỹ Đình 1, Q.Nam Từ Liêm, HN

Bán liền kề KDT Mỹ Đình Sông Đà. DT 91m² x 4 tầng nổi và 1 hầm, hai mặt thoáng. Giá 42 tỷ.
Bán liền kề TT1 KĐT Mỹ Đình Sông Đà (mặt phố Đình Thôn), quận Nam Từ Liêm:
+Diện tích 91m², mặt tiền 5m, xây 4 nổi và 1 hầm. SĐCC.
+ Nhà 2 mặt thoáng trước và sau. Gara ô tô vào hầm từ phía sau.
+ Hiện tại nhà đang cho thuê 60 triệu/tháng.
+ Vị trí đẹp. Đất thuộc KĐT Mỹ Đình Sông Đà. Phía trước là nhà văn ...
Bán biệt thự liền kề 92.7m2 vinhomes gardenia mỹ đình, nam từ liêm, 43 tỷ
8
43 tỷ 92 m²
Nhà Biệt Thự, Dự Án
5 5

Vinhomes Gardenia, Tt.Cầu Diễn, Q.Nam Từ Liêm, HN

Chính chủ gửi bán nhanh căn liền kề Vinhomes Gardenia, Hàm Nghi, Mỹ Đình, Nam Từ Liêm.

Căn liền kề diện tích 92.7m², 5 tầng.

Nhà hoàn thiện có thang máy.

Đang cho thuê dòng tiền ổn đình.

Bán nhanh trong tuần: Giá 43 tỷ bao phí.

Liên hệ Do Villas để được tư vấn, xem nhà, thương lượng cụ thể.

Cam kết làm việc trực tiếp nhanh gọn, hỗ trợ tư vấn phong thủy, đảm bảo bí mật.

Do Villas nhận ký ...
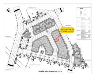
Liền kề 97,2 m2, 3 tầng 1 tum sẵn sổ, gần lê quang đạo, châu văn liêm, đại lộ thăng long, mỹ đình.
10
34.02 tỷ 97 m²
Nhà Biệt Thự, Dự Án

Nhóm nhà ở Tây Nam Mễ Trì, P.Phú Đô, Q.Nam Từ Liêm, HN

Bán căn Liền kề Tây Nam Mễ Trì, Phú Đô, Nam Từ Liêm, Hà Nội.
Lô C20, diện tích đất 98 m²; xây dựng 3 tầng 1 tum, đầy đủ công năng, thiết kế hiện đại, sổ đỏ cất két, sẵn sàng sang tên.
Khu vực nóng, tiềm năng tăng giá đột biến với hàng loạt dự án trọng điểm đang gấp rút chuẩn bị triển khai: 36 bộ ban ngành, Vinhomes Green Bay 2,... hạ tầng đang đồng bộ được hoàn thiện.
Xung quanh vô vàn tiện ích: ...
Quỹ căn lk, bt dự án louis city đại mỗ. vị trí đẹp, chủ cần bán  giá chỉ từ 24.5 tỷ.  0967 154 ***
5
24.5 tỷ 100 m²
Nhà Biệt Thự, Dự Án
8 8

Louis City, P.Đại Mỗ, Q.Nam Từ Liêm, HN

Văn phòng bất động sản An Vượng Land gửi tới quí khách hàng quỹ căn liền kề - Biệt thự dự án Louis City Đại Mỗ - Vị trí đẹp, giá tốt nhất ở thời điểm hiện tại.

Liên hệ: Mr Sơn chuyên liền kề, biệt thự Hà Đông.

Dự án Louis City với quy mô hơn 30 ha, nằm ở Vị trí đắc địa, một mặt tiếp giáp với đường Lê Quang Đạo thông lên Mỹ Đình, mặt còn lại tiếp giáp đường 70 thống ra Hà Đông. Sát bên là các ...
25 tỷ liền kề vỉa hè 100m2 6 tầng louis đại mỗ  chủ cần bán
3
25 tỷ 100 m²
Nhà Biệt Thự, Dự Án
5 5

Louis City, P.Đại Mỗ, Q.Nam Từ Liêm, HN

Chính chủ gửi bán Louis Đại Mỗ 100m² 5 tầng mặt tiền rộng thang máy vị trí 2 thoáng 50m ra Lê Quang đạo, chính chủ bán kín chỉ tiếp khách thiện chí - Miễn tiếp trung gian!
Nhà 5 tầng rộng thông thoáng trước sau pháp lý chuẩn, sang tên nhanh chóng. 25 tỷ.
Liên hệ hoặc để gặp chủ vào việc, Trân trọng!
Nhà view hồ đẳng cấp  khu vip flc garden đại mỗ, 100m2x5t, mt 7m, hoàn thiện đẹp, sát aeon mall
6
26.5 tỷ 100 m²
Nhà Biệt Thự, Dự Án

FLC Garden City, P.Đại Mỗ, Q.Nam Từ Liêm, HN

+ Bán nhà hoàn thiện đẹp, view hồ - khu vip FLC Garden Đại Mỗ, Nam Từ Liêm, Hà Nội. Nhà nằm ở vị trí địa: View hồ điều hoà, nằm đối diện Aeon Mall Hà Đông. L/H: E Long để có thông tin chính xác, mua giá tốt nhất.

+ Nhà 5 tầng, 100m², MT 7m. Nhà hoàn thiện đẹp, tỉ mỉ, tâm huyết, nội thất nhập khẩu xịn sò. Khu vực hiếm nhà bán.
+ Chủ nhà làm ăn phát đạt, thiện chí bán để chuyển sang biệt thự rộng ...
Từ 0 tới 20 của 66

Xem quy hoạch tại Q. Nam Từ Liêm, Hà Nội

Mua bán nhà biệt thự, dự án liền kề tại Quận Nam Từ Liêm giá tốt tháng 10/2025

 

Theo xu hướng phát triển của xã hội hiện đại thì những khu đô thị sinh thái, ven sông, khu dân cư có hạ tầng động bộ, an ninh, có sẳn tiện ích nội khu... đang trở thành lựa chọn an cư hàng đầu của nhiều khách hàng thượng lưu. Nhà dự án tại Quận Nam Từ Liêm có thể gồm nhà biệt thự liền kề, biệt thự đơn lập, song lập, biệt thự phố hay nhà phố liền kề rất được các nhà đầu tư quan tâm săn đón vì các nguyên nhân sau:

 

  • Hạ tầng đồng bộ: Nhà phố biệt thự, nhà liền kề trong dự án được hưởng lợi từ hạ tầng cảnh quan đường phố được bố trí hài hòa với các tiện ích chung cho cư dân, hệ thống điện nước ổn định. Các dự án thường được bố trí khuôn viên cây xanh, tiểu cảnh, công viên... mang đến cuộc sống hài hòa cùng thiên nhiên cho cư dân trong dự án.
  • Tiện ích nội khu: Cư dân trong khu biệt thự, dự án Quận Nam Từ Liêm có sẳn các tiện ích đẳng cấp hiện đại như: bể bơi, khu sân tập thể thao, trường học, bệnh viện, siêu thị, khu vui chơi cho trẻ, khu vực BBQ... là một trong nhưng ưu thế thế nỗi bật mà nhưng căn nhà ngoài dự án khó có được.
  • Hệ thống an ninh đảm bảo: Cùng đội ngũ nhân viên an ninh chuyên nghiệp trực 24/7. Đội bảo vệ thường xuyên tuần tra cùng với những trang thiết bị hiện đại, hệ thống camera... giúp đảm bảo an toàn cho cư dân trong khu nhà biệt thự phố, dự án.
  • Cộng đồng cư dân văn minh: Đây cũng là điểm nỗi bật ở trong khu, các chủ nhà, chủ sở hữu biệt thự, nhà liền kề dự án Quận Nam Từ Liêm sẻ được sống trong môi trường có cộng đồng cư dân văn minh, đẳng cấp qua đó giúp xây dựng thêm được nhiều mối quan hệ và tạo cảm giác an tâm hơn so với khu vực bên ngoài.
  • Tài sản gia tăng nhanh: Chính sự đồng bộ từ cơ sở hạ tầng, thống nhất hài hòa đến không gian xung quanh, tiện ích nội khu đầy đủ, cộng đồng dân cư văn mình, không gian sống đẳng cấp góp phần làm cho giá trị của căn nhà dự án, biệt thự liền kề có sự tăng giá mạnh mẽ và bền vững theo thời gian. Đồng thời là tài sản quý báo để dành tặng cho con cái sau này, khi quỷ đất ngày càng khan hiếm.

 

Nên mua nhà dự án, biệt thự Quận Nam Từ Liêm trong giai đoạn đầu?

 

Lợi ích khi mua nhà dự án trong giai đoạn khởi công

Giá rẻ hơn giai đoạn đầu mở bán chính là giai đoạn có mức giá thấp nhất ở một dự án thành công. Ngoài ra bạn còn được thêm nhiều ưu đãi, khuyến mãi khác của chủ đầu tư như quà tặng, chiếc khấu trực tiếp, lãi suất hấp dẫn...

Lựa được những vị trí đẹp, tiềm năng Ở giai đoạn đầu mở bán của dự án biệt thự, nhà liền kề bạn có thể chọn được những vị trí tiềm năng, đắc địa như có khả năng thương mại hay vị trị có view đẹp. Những vị trí đắc địa trong một dự án thì sẻ có tỷ suất tăng giá tốt nhất trong một dự án tại Quận Nam Từ Liêm.

 

Rủi ro khi mua nhà dự án, biệt thự trong giai đoạn đầu

Dự án đóng băng tỷ lệ đóng băng dự án ở nước ta khá cao so với khu vực. Một khi dự án đã đóng thì không biết khi nào nó được thực hiện lại, nguy cơ chôn vốn lâu là rất lớn

Không thu hút dân cư về ở Những dự án thực hiện quá xa khu dân cư, hay vượt xa nhu cầu thực có thể dần trở thành dự án ma. Và người mua đầu tiên sẻ chờ đợi rất lâu để có thể bán lại hoặc rất lâu để cơ sở hạ tầng đồng bộ để tiến hành định cư tại dự án đó.

 

Lưu ý khi mua nhà dự án, biệt thự trong giai đoạn đầu khởi công

  • Lựa chọn dự án của chủ đầu tư có uy tín, đã từng thực hiện thành công nhiều dự án, có kinh nghiệm trong xây dựng, quản lý vận hành những khu đô thị lớn. Một chủ đầu tư uy tín sẻ đảm bảo tiến độ, chất lượng mang lại trải nghiệm tốt cho khách hàng.
  • Tìm hiểu về pháp lý của dự án như thông tin về quyền sử dụng đất của chủ đầu tư dự án, xem hồ sơ dự án, bản vẽ thiết kế... đã được cơ quan có thẩm quyền phê duyệt chưa? Chủ đầu tư có giấy phép xây dựng không?
  • Tìm hiểu về cơ sở hạ tầng xung quanh dự án, các tiện ích, không gian chung của dự án... Những tiện ích đó có đầy đủ và thuận tiện nhưng mong muốn của bạn sau này không?
  • Xem xét kỹ hợp đồng, quyền lợi và trách nhiệm của mỗi bên. Xem tiến độ thanh toán có phù hợp cho bạn không? Các điều khoản nào không có lợi cho người mua, tốt nhất bạn nên đến các luật sự để được tư vấn chi tiết.

 

Nếu bạn đang sở hữu nhà biệt thự, nhà dự án liền kề thì có thể đăng tin bán nhà dự án miễn phí trên bds68.com.vn để tiếp cận với hàng nghìn người có nhu cầu mỗi ngày.

 

Tham khảo ngay những tin mua bán nhà mặt tiền dự án tại Quận Nam Từ Liêm được quan tâm nhiều nhất hiện nay:

Xem thêm
Dự án trong khu vực
Xem thêm