Cần tiền bán gấp lô đất tại đại kim định công mở rộng (mt 6m và 6.5m). giá 63tr/m2
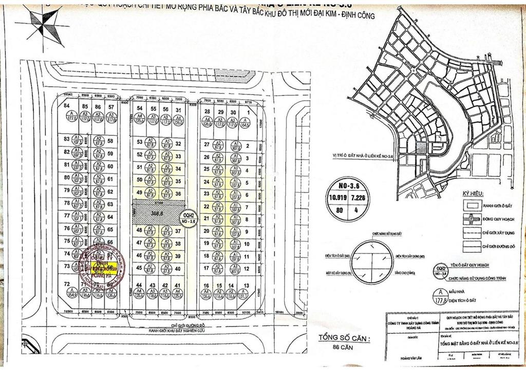
Chính chủ bán lô đất DD - 1.1 (MT: 6m; DT: 90m²), No-3.6 (MT:6.5m; DT: 87.8m²) KĐT mới Đại Kim Định Công mở rộng.
Lô đất vàng, cạnh đường Vành đai 2.5 (Hầm chui Kim Đồng - Giải Phóng và đường vành đai 2.5 từ Giải Phóng đến Đầm Hồng đã thông xe).
Đất sạch, Thành phố đang làm thủ tục bàn giao (Dự kiến trong Quý II, đầu Quý III - 2026)
Dự án lõi trung tâm cuối cùng của Thủ Đô.
Gần Hồ Định Công, gần BV Bưu Điện, gần công viên.
Khu đô thị mới Đại Kim - Định Công được kết nối với hệ thống hạ tầng kỹ thuật và hạ tầng xã hội của các khu đô thị liền kề đã hoàn thiện: Khu đô thị Đại Kim - Định Công 24 ha, khu đô thị Định Công (35 ha), khu nhà ở Bắc Linh Đàm và Bắc Linh Đàm mở rộng, khu đô thị The Manor (Nguyễn Xiển).
Dự án được xây dựng đồng bộ và hoàn chỉnh về hạ tầng kỹ thuật theo quy hoạch 1/500 đã được phê duyệt bởi TP. Hà Nội theo quyết định số 6446 ngày 26/11/2018. Khu đô thị mới Đại Kim - Định Công được thực hiện trên khu đất rộng 109ha gồm các công trình nhà ở (Liền kề - Shophouse - Biệt thự - Chung cư) đi kèm hạ tầng xã hội, dịch vụ công cộng cho địa phương và thành phố.
Mời liên hệ Mr Dũng: .
Đặc Điểm
Xem quy hoạch của bđs tại Phường Đại Kim, Hoàng Mai, Hà Nội
Đang Tải ...

