Cầm 4,8 tỷ nên mua chung cư hay shophouse sổ đỏ lâu dài? 0969 512 ***
1 / 6
Đăng: 06/02/2026
Giá: Thỏa thuận
80 m2
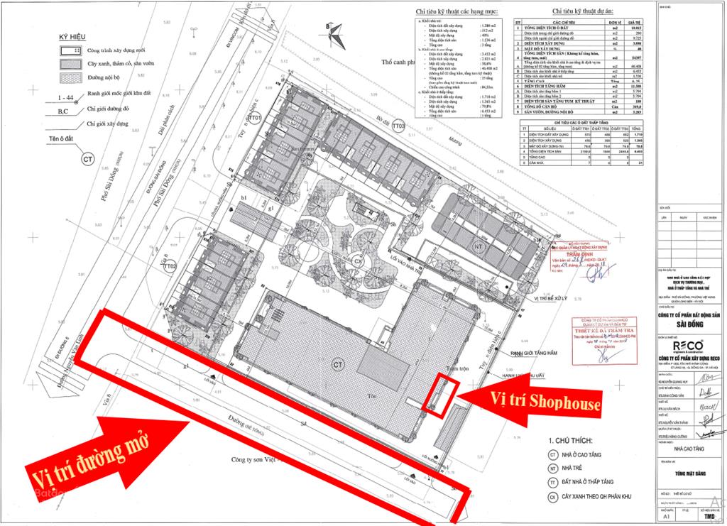
CẦM 4,8 TỶ NÊN MUA CHUNG CƯ HAY SHOPHOUSE SỔ ĐỎ LÂU DÀI?
Nhiều anh chị đang phân vân gửi tiết kiệm lãi thấp hay mua căn hộ để ở, trong khi cùng số tiền đó, em Tuyết có Shophouse chân đế 190 Sài Đồng, Long Biên.
- Lợi ích kép: Vừa giữ tài sản (giá trị đất tăng theo thời gian), vừa khai thác kinh doanh hoặc cho thuê ngay.
- Giá "ngược dòng": Chỉ 60tr/m² cho căn 80m² Trong khi giá chung cư cao cấp khu vực này cũng đã chạm ngưỡng 70-120tr/m².
Điểm khác biệt: Đây là Shophouse chân đế SỞ HỮU LÂU DÀI, không phải 50 năm. Một di sản truyền đời thực sự.
Sát vách Vinhomes Riverside, hưởng trọn tiện ích và hạ tầng tỷ đô.
Liên hệ em Tuyết để xem sổ đỏ và thực tế căn shop
Call:
Zalo chat: https://zalo.me/
Xem thêm
Đặc Điểm
Loại Tin Rao: ShopHouse
Dự Án: TSG Lotus Sài Đồng
Giá: Thỏa thuận
Diện Tích: 80 m2
Pháp lý : Sổ đỏ/ Sổ hồng
Nội thất : Cơ bản
Mã Đăng Tin: 29898012
Ngày Đăng: 06/02/2026 - 01/03/2026
Xem quy hoạch của bđs tại Phường Việt Hưng, Long Biên, Hà Nội
Tin ShopHouse Cùng Mức Giá Trong Phường Việt Hưng, Long Biên, Hà Nội
Đang Tải ...
Xem Bản Đồ

