Cặp nhà hẻm xe hơi 8m lê đình cẩn2 sổ riêngsát tên lửa83m2gpxd full 3,5 tấm
Cần bán cặp nhà vị trí đẹp tại Lê Đình Cẩn, quận Bình Tân. Hẻm lớn, thông thoáng, khu dân cư ổn định, phù hợp mua ở, đầu tư hoặc giữ tài sản lâu dài.
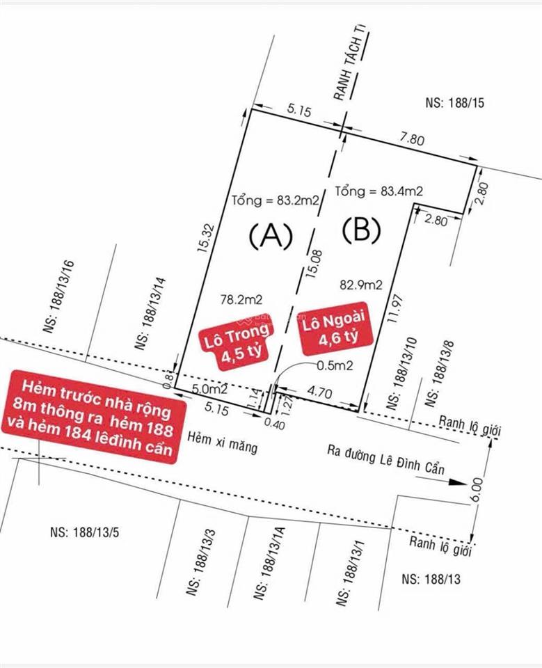
Thông tin chi tiết:
Vị trí: Lê Đình Cẩn, quận Bình Tân
Hẻm: Hẻm xe hơi rộng ~8m, thông ra hẻm 184 Lê Đình Cẩn, xe ô tô tránh nhau
Diện tích: 5.2 x16m
Hiện trạng: Bán cặp nhà liền kề
Pháp lý: 2 sổ hồng riêng, sang tên nhanh
Ưu điểm nổi bật:
Hẻm thông, cao ráo, không ngập
Khu dân cư hiện hữu, an ninh, dân trí tốt
Thích hợp mua ở kết hợp cho thuê hoặc đầu tư lâu dài
Giá bán tốt so với khu vực Lê Đình Cẩn hiện tại
Giao thông thuận tiện kết nối:
Lê Đình Cẩn Hương Lộ 2 Tỉnh Lộ 10 Quốc lộ 1A, dễ dàng di chuyển về Tân Phú, Quận 6, Quận 11 và các khu công nghiệp.
Giá bán: 4,6 tỷ / cặp (thương lượng chính chủ)
Liên hệ: Kỳ
Hỗ trợ xem nhà linh hoạt làm việc trực tiếp pháp lý rõ ràng.
Đặc Điểm
Xem quy hoạch của bđs tại Phường Tân Tạo, Bình Tân, Hồ Chí Minh
Đang Tải ...

