Nhà Mặt TiềnHồ Chí MinhTp. Thủ ĐứcP. Phước Long B
Bán nhà mặt tiền tại Phường Phước Long B, Tp. Thủ Đức giá 20 tỷ đến 50 tỷ diện tích 100 đến 150 m² có 3 phòng ngủ
Đường Đỗ Xuân Hợp, P.Phước Long B, Tp.Thủ Đức, HCM
Cần bán gấp Nhà mặt tiền Q9
Vị trí đẹp, Đỗ Xuân Hợp
Cách ga metro, XLHN , vành đai2 500m
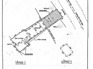
Tổng DT 103m² ngan 5
Nhà nở hậu phong không lỗi phong thuỷ
Giá chỉ 23ty cho khách thiện trí
LH
Xem quy hoạch tại P. Phước Long B, Tp. Thủ Đức, Hồ Chí Minh
Mua bán nhà mặt tiền Phường Phước Long B, Tp. Thủ Đức giá tốt tháng 11/2025
Nhà mặt đường, mặt phố tại Phường Phước Long B, Tp. Thủ Đức có thể dùng với nhiều mục đích. Thuận tiện để ở, cho thuê mặt tiền kinh doanh... và khan hiếm theo thời gian là một trong những đặt điểm khiến các nhà đầu tư luôn quan tâm đến loại hình batdongsan này. Cùng bds68 điểm qua những nguyên nhân chính khiến nhà mặt tiền luôn hot.
- Vị trí thuận tiện: Nhà phố mặt tiền Phường Phước Long B, Tp. Thủ Đức sở hữu vị trí thuận tiện, gần các trục đường lớn, khu dân cư sầm uất nên rất thuận lợi cho mọi nhu cầu của chủ nhà. Với nhà mặt tiền chủ nhà sẻ không còn lo lắng việc kết nối giao thông, việc sử dụng các dịch vụ tiện ích xung quanh như chợ, siêu thị, trường học, bệnh viện... cũng dễ dàng.
- Tính thương mại: Nhà mặt tiền đường luôn có lượng lớn khách vãng lai mỗi ngày vì vậy bạn có thể sử dụng nhà mặt phố để mở shop buôn bán, tiệm tạp hóa, hàng quán ăn uống, hiệu quần áo... hay có thể mở đại lý, trụ sở đại diện, văn phòng công ty... qua đó giúp chủ nhà mang lại dòng tiền đều mỗi tháng.
- Cho thuê mặt bằng: Nếu bạn không muốn tự kinh doanh thì nhà mặt phố dể dàng được cho thuê mặt bằng kinh doanh với giá cao. Các chủ của hàng luôn tìm kiếm nhà mặt tiền có vị trị đẹp tại Phường Phước Long B, Tp. Thủ Đức
- Ngày càng khan hiếm: Theo thời gian cùng với tốt độ đô thị hóa mạnh tại Phường Phước Long B, Tp. Thủ Đức thì nhà mặt phố ngày càng khan hiếm theo thời gian. Nhu cầu luôn cao mà số lượng có hạn vì vậy giá bán bị đẩy lên cao. Đậy là lợi thế của chủ nhà vì nắm giữ tài sản ngày càng có giá trị.
- Tốc độ tăng giá chóng mặt: Giá trị tăng giá của nhà mặt tiền thường tỷ lệ thuận với tốt độ phát triển của khu vực, một khu vực đông dân cư, nhiền hàng quán, mặt bằng đẹp, đường lớn sẻ có tốt độ tăng giá nhanh. Trong cùng một khu dân cư thì nhà mặt tiền luôn tăng giá nhanh hơn những nhà trong hẻm.
Mua bán nhà mặt tiền đường giá tốt tại Phường Phước Long B, Tp. Thủ Đức ở đâu?
Để tìm được nhà mặt phố Phường Phước Long B, Tp. Thủ Đức tháng 11/2025 bạn hãy truy cập vào bds68. Mỗi ngày có hàng nghìn tin đăng mua bán nhà mặt tiền giá tốt được cập nhật sớm nhất và chính xác nhất. Bạn dể dàng chọn lọc theo giá, diện tích, vị trí, đường phố... và so sánh giá nhà xung quanh qua đó giúp bạn dễ dàng tìm được chính chủ.
Nếu bạn đang sở hữu nhà mặt tiền thì có thể đăng tin bán nhà mặt tiền miễn phí trên bds68.com.vn để tiếp cận với hàng nghìn người có nhu cầu mỗi ngày.
Tham khảo ngay những tin mua bán nhà mặt phố tại Phường Phước Long B, Tp. Thủ Đức được quan tâm nhiều nhất hiện nay:
- Mua bán nhà mặt phố Phường Phước Long B, Tp. Thủ Đức dưới 3 tỷ
- Mua bán nhà mặt phố Phường Phước Long B, Tp. Thủ Đức dưới 5 tỷ
- Mua bán nhà tiền đường Phường Phước Long B, Tp. Thủ Đức dưới 7 tỷ
- Mua bán nhà tiền đường Phường Phước Long B, Tp. Thủ Đức dưới 10 tỷ
- Mua bán nhà mặt phố Phường Phước Long B, Tp. Thủ Đức diện tích trên 50m²
- Mua bán nhà mặt phố Phường Phước Long B, Tp. Thủ Đức diện tích trên 60m²
- Mua bán nhà tiền đường Phường Phước Long B, Tp. Thủ Đức diện tích trên 80m²
- Mua bán nhà tiền đường Phường Phước Long B, Tp. Thủ Đức diện tích trên 100m²


