Bán nhà mặt tiền mã lò vị trí đẹp, bhha 422.5m nhà cấp 4 đường 15m giá 11.5 tỷ
1 / 3
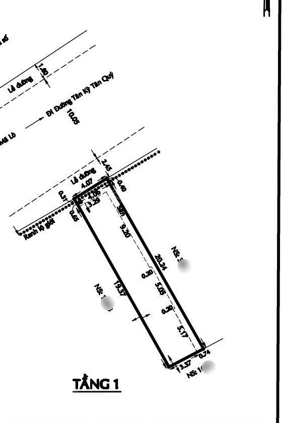
BÁN NHÀ MẶT TIỀN MÃ LÒ vị trí đẹp, BHHA 422.5M NHÀ CẤP 4 ĐƯỜNG 15M GIÁ 11.5 TỶ
Diện tích: 4 22.5m, khuôn đất dài đẹp.
Hiện trạng: nhà cấp 4, tiện xây mới hoặc khai thác.
Hướng: Tây.
Đường trước nhà 15m, vị trí mặt tiền kinh doanh tốt.
Khu vực trung tâm Mã Lò, gần Lê Văn Quới Gò Xoài, Tân Kỳ Tân Quý tiện ích đầy đủ.
Giá bán: 11.5 tỷ (thương lượng).
A/c quan tâm liện hệ e Việt
xem nhà thực tế.
Việt Phạm
Cam kết thông tin chuẩn 100%.
Tư vấn miễn phí.
Nhận ký gửi , tìm nhà theo yêu cầu.
Hỗ trợ đăng bộ sang tên miễn phí.
Xem thêm sản phẩm tại đây:
https://tanphuland.vn/user/183/
https://www.tiktok.com/@vietphambds?_r=1&_t=ZS-92Rz0OTYVQ0
Địa chỉ công ty:
CN2 :229 Lê Văn Quới , p.Bình Trị Đông , Bình Tân
Xem thêm
Đặc Điểm
Loại Tin Rao: Nhà Mặt Tiền
Giá: 11.5 tỷ
Diện Tích: 82 m2
Mã Đăng Tin: 29848577
Ngày Đăng: 27/01/2026 - 10/02/2026
Xem quy hoạch của bđs tại Phường Bình Hưng Hòa A, Bình Tân, Hồ Chí Minh
Tin Nhà Mặt Tiền Cùng Mức Giá Trong Phường Bình Hưng Hòa A, Bình Tân, Hồ Chí Minh
Đang Tải ...
Xem Bản Đồ

