Bán đất hòn nghê, 550 triệu, 120m2, giá tốt, nha trang, khánh hòa
1 / 3
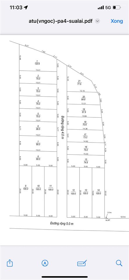
Mình đang có quỹ đất đang cần bán tại thôn Hòn Nghê (xã Vĩnh Ngọc cũ) nay thuộc phường tây. Dt từ 64m² - 120m². Giá từ 300 - 550 triệu. Giấy tờ tay. Cách Mai Thị Võng hơn 300m đường 5m ô tô vivu.
Xem thêm
Đặc Điểm
Loại Tin Rao: Đất Riêng
Giá: 550 triệu
Diện Tích: 120 m2
Đường Trước Nhà: 5 mm
Mặt Tiền: 5 mm
Pháp lý : Giấy tay
Mã Đăng Tin: 29417416
Ngày Đăng: 04/03/2026 - 18/03/2026
Xem quy hoạch của bđs tại Xã Vĩnh Ngọc, Nha Trang, Khánh Hòa
Tin Đất Riêng Cùng Mức Giá Trong Xã Vĩnh Ngọc, Nha Trang, Khánh Hòa
Đang Tải ...
Xem Bản Đồ

