Ccg cần bán trước tết, lô góc hoàng diệu 2
1 / 4
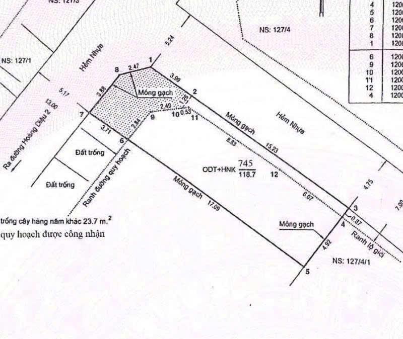
Lô góc 2 mặt tiền đường Hoàng Diệu 2, Linh Trung cũ, TP. Thủ Đức (Gần Đại Học Ngân Hàng).
DT: 5,8x 21m CN: 118m².
Thổ cư: 95m².
XD tự do: Hầm + 5 tầng.
Vị trí đẹp, cách MT Hoàng Diệu 2 đúng 50m.
Phù hợp xây Văn phòng Khách sạn Căn hộ dịch vụ Building khai thác.
Giá bán: 9,9 tỷ (thương lượng).
.
Xem thêm
Đặc Điểm
Loại Tin Rao: Đất Riêng
Giá: 9.9 tỷ
Diện Tích: 118 m2
Đường Trước Nhà: 15 mm
Mặt Tiền: 5,8 mm
Hướng Nhà: Tây
Pháp lý : Sổ đỏ/ Sổ hồng
Mã Đăng Tin: 29653709
Ngày Đăng: 30/12/2025 - 13/01/2026
Xem quy hoạch của bđs tại Phường Linh Trung, Thủ Đức, Hồ Chí Minh
Tin Đất Riêng Cùng Mức Giá Trong Phường Linh Trung, Thủ Đức, Hồ Chí Minh
Đang Tải ...
Xem Bản Đồ

