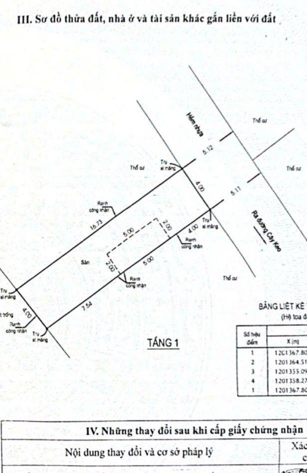
Bán lô đất hẻm 55 cây keo. tam phú dt 5*15 giá 6,45ty
1 / 3
Đặc Điểm
Loại Tin Rao: Đất Riêng
Giá: 6.45 tỷ
Diện Tích: 75 m2
Mã Đăng Tin: 30310722
Ngày Đăng: 10/04/2026 - 24/04/2026
Xem quy hoạch của bđs tại Phường Tam Phú, Thủ Đức, Hồ Chí Minh
Tin Đất Riêng Cùng Mức Giá Trong Phường Tam Phú, Thủ Đức, Hồ Chí Minh
Đang Tải ...
Xem Bản Đồ

