Bán lô đất đẹp (4x16,7m ~ 66,6m2) đường cây keo tam phú tp thủ đức. gần tô ngọc vân linh đông
1 / 4
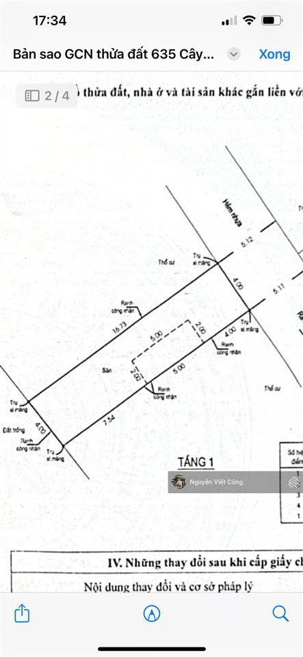
Bán lô đất đẹp đường Cây Keo - Tam Phú - TP Thủ Đức. Gần Tô Ngọc Vân, Linh Đông.
DT nền: 4m * 16.7m (DT: 66,6m² - 100% TC).
Đường trước nhà: 6m.
Hạ tầng đồng bộ - hoàn toàn không ngập.
Đầy đủ tất cả DV tiện ích: Trường học - Bệnh viện - Siêu thị Winmart - BHX - KingFood - Co. Op food, nhà hàng, cafe,
Xây dựng tự do - hoàn công ngay.
Giá bán: 5,7 tỷ
Liên hệ sđt: xem đất.
Xem thêm
Đặc Điểm
Loại Tin Rao: Đất Riêng
Giá: 5.7 tỷ
Diện Tích: 66 m2
Đường Trước Nhà: 6 mm
Mặt Tiền: 4 mm
Pháp lý : Sổ đỏ/ Sổ hồng.
Mã Đăng Tin: 30307363
Ngày Đăng: 10/04/2026 - 24/04/2026
Xem quy hoạch của bđs tại Phường Tam Phú, Thủ Đức, Hồ Chí Minh
Tin Đất Riêng Cùng Mức Giá Trong Phường Tam Phú, Thủ Đức, Hồ Chí Minh
Đang Tải ...
Xem Bản Đồ

