Hẻm 6m ô tô tránh nhau lô đất hiếm chính chủ chưa qua mua bán
1 / 3
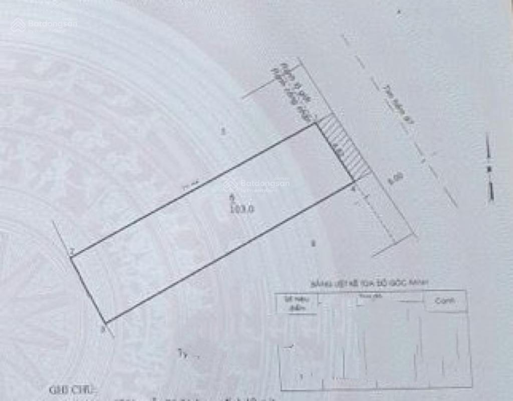
HẺM 6M Ô TÔ TRÁNH NHAU LÔ ĐẤT HIẾM CHÍNH CHỦ CHƯA QUA MUA BÁN
Nguyễn Sỹ Sách, P. Tân Sơn, Q. Tân Bình
Diện tích: 5 x 21m 105m sổ vuông đẹp
Hẻm 6m ô tô né nhau thoải mái
Khu vực xây dựng 5 tầng phù hợp xây CHDV, nhà ở cao tầng
Pháp lý chuẩn sổ riêng công chứng trong ngày
Hàng hiếm còn sót lại vị trí trung tâm Tân Bình
Xem thêm
Đặc Điểm
Loại Tin Rao: Đất Riêng
Giá: 10 tỷ
Diện Tích: 105 m2
Pháp lý : Sổ đỏ/ Sổ hồng
Mã Đăng Tin: 29737635
Ngày Đăng: 27/01/2026 - 10/02/2026
Xem quy hoạch của bđs tại Phường 15, Tân Bình, Hồ Chí Minh
Tin Đất Riêng Cùng Mức Giá Trong Phường 15, Tân Bình, Hồ Chí Minh
Đang Tải ...
Xem Bản Đồ

