Chú em cần tiền bán lô đất đẹp như ngọc trinh! ngay bình tândt 5x10m hẻm 6m chỉ 3tỷ 3 tl
1 / 3
CHÚ EM "- CẦN TIỀN BÁN LÔ ĐẤT ĐẸP NHƯ NGỌC TRINH! -NGAY BÌNH TÂN-DT 5x10M - HẺM 6M CHỈ 3TỶ 3 TL
Khách tìm đất ngang 5m khó như tìm người yêu cũ, mà nay em có lô này tại Bình Tân giá "rẻ giật mình":
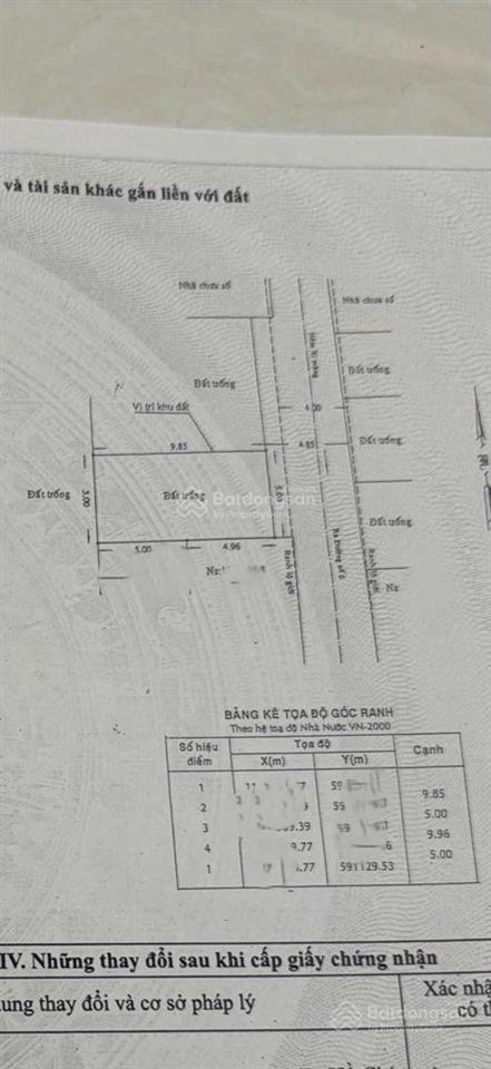
Diện tích: 50m (5x10m). Sổ vuông như tờ giấy A4, không lỗi phong thủy.
Hẻm: Xe tải đua nhau, quay đầu thoải mái.
Xây dựng: Được xây 5 lầu. Anh chị xây lên làm "trùm" khu phố luôn cũng được!
Giá: Hơn 3 tỷ xíu thôi (x tiểu học).
Alo em Đông: - Xem đất 24/7.
Xem thêm
Đặc Điểm
Loại Tin Rao: Đất Riêng
Giá: 3.3 tỷ
Diện Tích: 50 m2
Đường Trước Nhà: 6 mm
Mặt Tiền: 5 mm
Pháp lý : Sổ đỏ/ Sổ hồng
Mã Đăng Tin: 30412349
Ngày Đăng: 23/04/2026 - 07/05/2026
Xem quy hoạch của bđs tại Phường Bình Hưng Hòa B, Bình Tân, Hồ Chí Minh
Tin Đất Riêng Cùng Mức Giá Trong Phường Bình Hưng Hòa B, Bình Tân, Hồ Chí Minh
Đang Tải ...
Xem Bản Đồ

