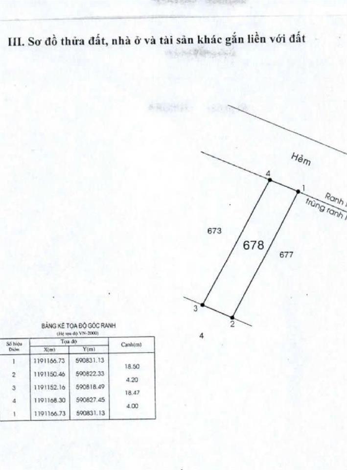
Bán đất đường tây lân,tân tạo,hẻm 7m (76m2 4,2m x 18m) 4,19 tỷ tl
1 / 5
+ Hẻm 111 tây lân,khu phân lô đồng bộ,ngay chợ mỹ nga.
+ DT:76m² (4,2m x 18m) vuông vức,full thổ.
+ Khu vực được xây 1 trệt,3 lầu.
+ Tuyến hẻm hầu như đã xây nhà cao tầng đồng bộ,dân cư đông đúc.
+ gần trường học,chợ,bệnh viện đa khoa quận.
+ Sổ hồng riêng,pháp lý chuẩn.
+ LH: Mr Thanh,xem trực tiếp.
Xem thêm
Đặc Điểm
Loại Tin Rao: Đất Riêng
Giá: 4.19 tỷ
Diện Tích: 76 m2
Đường Trước Nhà: 7 mm
Mặt Tiền: 4,2 mm
Pháp lý : Sổ đỏ/ Sổ hồng
Mã Đăng Tin: 29836627
Ngày Đăng: 24/01/2026 - 07/02/2026
Xem quy hoạch của bđs tại Phường Tân Tạo, Bình Tân, Hồ Chí Minh
Tin Đất Riêng Cùng Mức Giá Trong Phường Tân Tạo, Bình Tân, Hồ Chí Minh
Đang Tải ...
Xem Bản Đồ

