Đất ptda mặt tiền tỉnh lộ 2, tân phú trung, x. củ chi hcm.
1 / 3
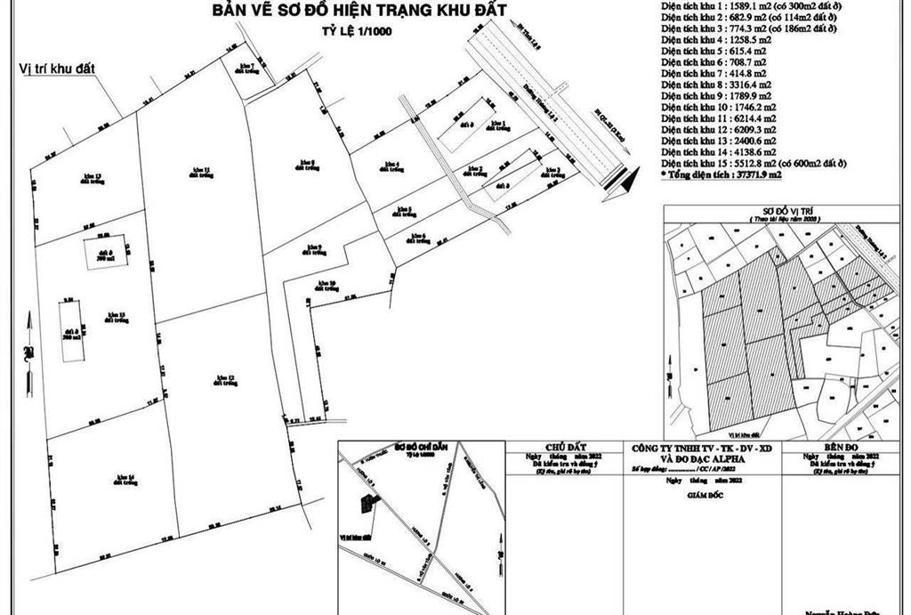
Ngon Củ Chi: 224.3 tỷ (6tr/m²) đất MT Tỉnh Lộ 2, Tân Phú Trung, X. Củ Chi HCM. TDT: 37,372m² (hơn 3.7ha) ONT: 1,200m².
Minh Vương.
Xem thêm
Đặc Điểm
Loại Tin Rao: Đất Mặt Tiền
Giá: 224.3 tỷ
Diện Tích: 37372 m2
Đường Trước Nhà: 22 mm
Mặt Tiền: 50 mm
Pháp lý : Sổ đỏ/ Sổ hồng
Mã Đăng Tin: 30365909
Ngày Đăng: 17/04/2026 - 01/05/2026
Xem quy hoạch của bđs tại Xã Tân Phú Trung, Củ Chi, Hồ Chí Minh
Tin Đất Mặt Tiền Cùng Mức Giá Trong Xã Tân Phú Trung, Củ Chi, Hồ Chí Minh
Đang Tải ...
Xem Bản Đồ

