Khu đất 2mt đường kênh 8 dt 12.500m2 sát võ trần chí giá bán 5.5tr/m2
1 / 7
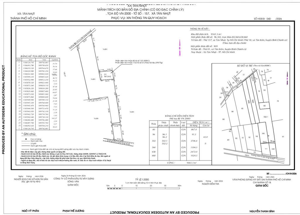
Khu Đất 2 mặt tiền đường rộng rãi, thông thoáng, thích hợp bán hoặc cho thuê, khu đất lớn tiện xây nhà xưởng, vị trí ngay cửa ngõ tiện di chuyển về các Tỉnh Miền Tây
- Vị Trí : MT đường Kênh 8 thuộc xã Tân Nhựt TPHCM
- Diện Tích: 25 x 300m Nở Hậu 50m
- TDT : 12.500m2
- Quy hoạch đất Kho Tàng Bến Bãi
- Giá bán : 5.5tr/m2
Xem thêm
Đặc Điểm
Loại Tin Rao: Đất Mặt Tiền
Giá: 68.75 tỷ
Diện Tích: 12500 m2
Đường Trước Nhà: 8 mm
Mặt Tiền: 50 mm
Hướng Nhà: Nam
Pháp lý : Sổ đỏ/ Sổ hồng
Mã Đăng Tin: 29974133
Ngày Đăng: 02/03/2026 - 16/03/2026
Xem quy hoạch của bđs tại Xã Tân Nhựt, Bình Chánh, Hồ Chí Minh
Tin Đất Mặt Tiền Cùng Mức Giá Trong Xã Tân Nhựt, Bình Chánh, Hồ Chí Minh
Đang Tải ...
Xem Bản Đồ

